New Search Family, Subfamily and Tribe List

SubFamily Cerambycinae

Tribe Plectromerini
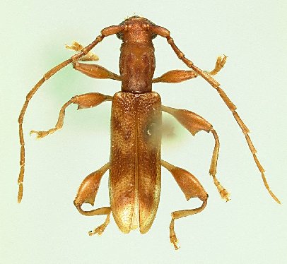
Plectromerus josephi Nearns & Branham 2008

Specimen Type: holotype
Sex: m
Institution: FSCA Florida State Collection of Arthropods, Gainesville, FL, USA
Photographer: Gino Nearns
Collection Location: La Cumbre de Puerta Plata, Dominican Republic
24365

130425