_Nearns_and_Branham_EMEC_Cerro_Chimborazo_Nicaragua_GN.jpg)
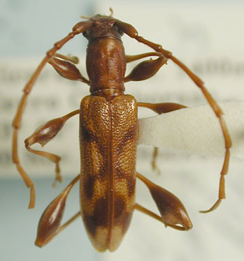
Specimen Type: holotype Sex: m Institution: EMEC Essig Museum of Entomology, Berkeley, CA, USA Photographer: Gino Nearns Collection Location: Cerro Chimborazo, Nicaragua 24362
|

Specimen Type: holotype Sex: m Institution: UCB Essig Museum of Entomology, Berkeley, California, USA Photographer: Larry G. Bezark Collection Location: Cerro Chimborazo, Nicaragua 6315
|