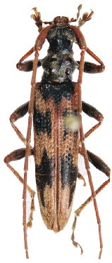
_sharonae_(h-m)_Santos-Silva_and_Hovore_ACMT_SN_San_Lorenzo_Rd_Zacapa_Guatemala.jpg)
Specimen Type: holotype Sex: m Institution: USNM United States National Museum, Washington, DC, USA Photographer: Antonio Santos-Silva Collection Location: SN San Lorenzo Rd, Zacapa, Guatemala 24289
|
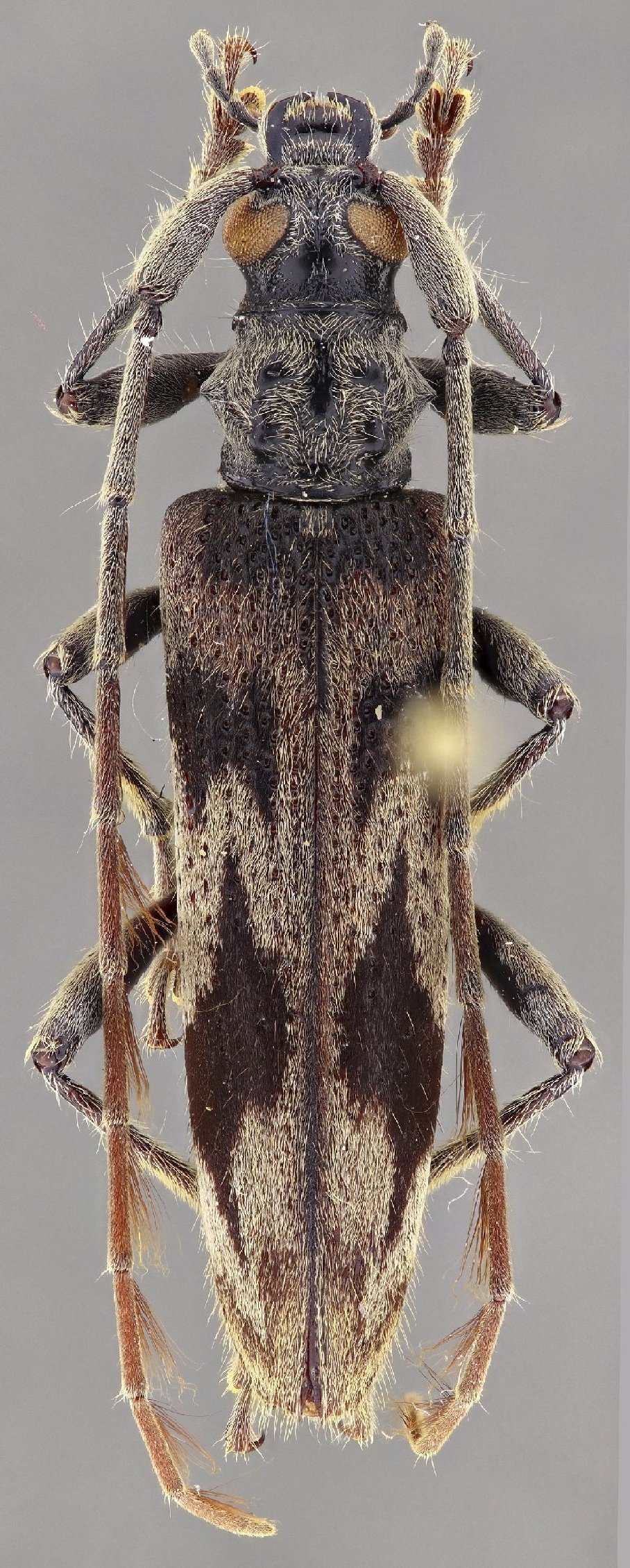
_SS_and_Hovore_ACMT_SN_SanLorenzo_Rd_Zacapa_Guat.jpg)
Specimen Type: holotype Sex: m Institution: USNM United States National Museum, Washington, DC, USA Photographer: Steve Lingafelter Collection Location: SN San Lorenzo Rd, Zacapa, Guatemala 25860
|
 SS Hov MZSP 19-24 km N Salama Baja Verapaz, Guatemala JPB SS.jpg)
Specimen Type: paratype Sex: f Institution: MZSP Museu de Zoologia da Universidade de São Paulo, Brazil Photographer: Juan Pablo Botero & Antonio Santos-Silva Collection Location: 19-24 km N Salama Baja Verapaz, Guatemala 96528
|
 SS Hov MZSP 19-24 km N Salama Baja Verapaz, Guatemala JPB SS.jpg)
Specimen Type: paratype Sex: f Institution: MZSP Museu de Zoologia da Universidade de São Paulo, Brazil Photographer: Juan Pablo Botero & Antonio Santos-Silva Collection Location: 19-24 km N Salama Baja Verapaz, Guatemala 96529
|
|