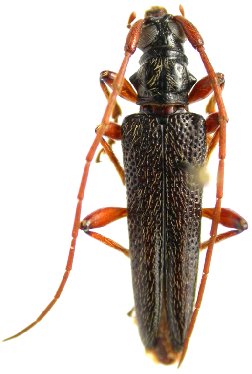
_setosa_(h-f)_Santos-Silva_and_Hovore_RHTC_6km_NW_San_Agustin_Copan_Honduras.jpg)
Specimen Type: holotype Sex: f Institution: RHTC Robert H. Turnbow Collection Photographer: Antonio Santos-Silva Collection Location: 6km NW San Agustin, Copan, Honduras 24288
|
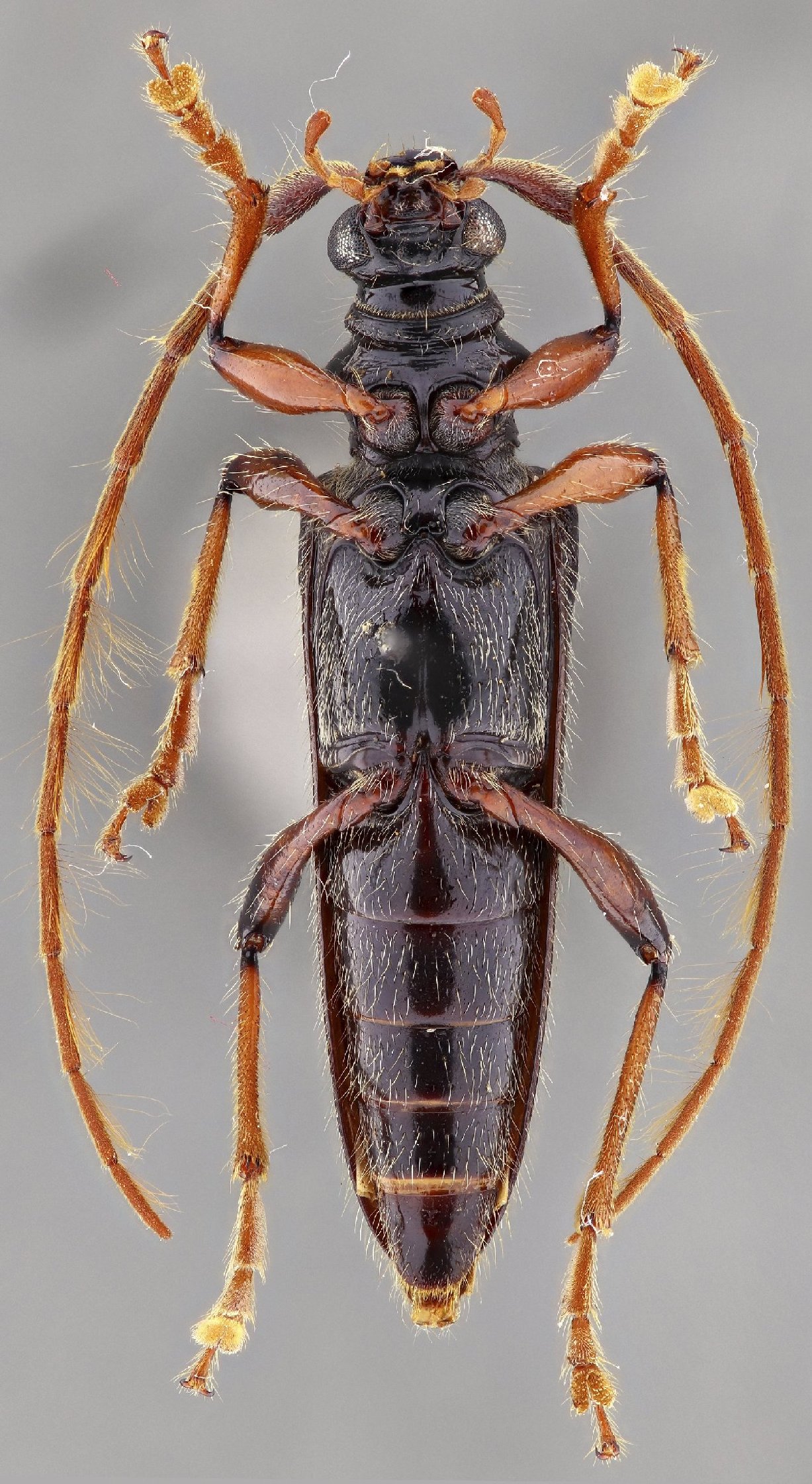
 SS Hov MZSP 6 km S La Union, Zacapa, Guatemala JPB SS.jpg)
Specimen Type: paratype Sex: f Institution: MZSP Museu de Zoologia da Universidade de São Paulo, Brazil Photographer: Juan Pablo Botero & Antonio Santos-Silva Collection Location: 5 km N Finca Colimas Zunilito, Guatemala 96524
|