_SS_and_Hovore_ACMT_Los_Tuxtlas_VC_Mex.jpg)
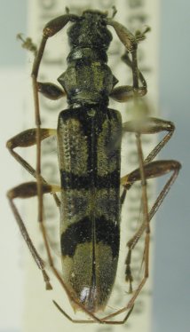
Specimen Type: holotype Sex: m Institution: USNM United States National Museum, Washington, DC, USA Photographer: Steve Lingafelter Collection Location: Los Tuxtlas, Veracruz, Mexico 25858
|
 SS Hov MZSP Los Tuxtlas, Veracruz, Mexico JPB SS.jpg)
Specimen Type: paratype Sex: f Institution: MZSP Museu de Zoologia da Universidade de São Paulo, Brazil Photographer: Juan Pablo Botero & Antonio Santos-Silva Collection Location: Los Tuxtlas, Veracruz, Mexico 24283
|
 SS Hov MZSP Los Tuxtlas, Veracruz, Mexico JPB SS.jpg)
Specimen Type: paratype Sex: f Institution: MZSP Museu de Zoologia da Universidade de São Paulo, Brazil Photographer: Juan Pablo Botero & Antonio Santos-Silva Collection Location: Los Tuxtlas, Veracruz, Mexico 96521
|

Institution: EMEC Essig Museum of Entomology, Berkeley, CA, USA Photographer: Larry G. Bezark Collection Location: Estacion Biologia, Los Tuxtlas, Veracruz, Mexico 44931
|
|