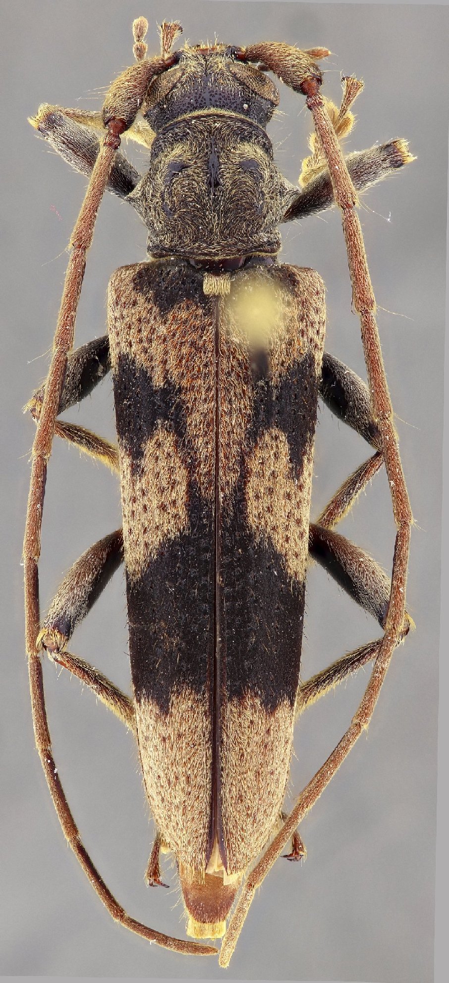
_mexicana_(h-m)_Santos-Silva_and_Hovore_TAMU_5_mi_W_Huajuapan_Oaxaca_Mexico.jpg)
Specimen Type: holotype Sex: m Institution: TAMU Texas A & M University, College Station, Texas, USA Photographer: Antonio Santos-Silva Collection Location: 5 mi W Huajuapan, Oaxaca, Mexico 24282
|
 SS Hov MZSP 5 mi NW Huajuapan, Oaxaca, Mexico JPB SS.jpg)
Specimen Type: paratype Sex: f Institution: MZSP Museu de Zoologia da Universidade de São Paulo, Brazil Photographer: Juan Pablo Botero & Antonio Santos-Silva Collection Location: 5 mi NW Huajuapan, Oaxaca, Mexico 96518
|