_hondurenha_(h-f)_Santos-Silva_and_Hovore_RHTC_La_Muralla_Olancho_Honduras.jpg)
Specimen Type: holotype Sex: f Institution: RHTC Robert H. Turnbow Collection Photographer: Antonio Santos-Silva Collection Location: La Muralla, Olancho, Honduras 24280
|
_SS_and_Hovore_RHTC_La_Muralla_Olancho_Hond.jpg)
Specimen Type: holotype Sex: f Institution: RHTC Robert H. Turnbow Collection Collection Location: La Muralla, Olancho, Honduras 25856
|
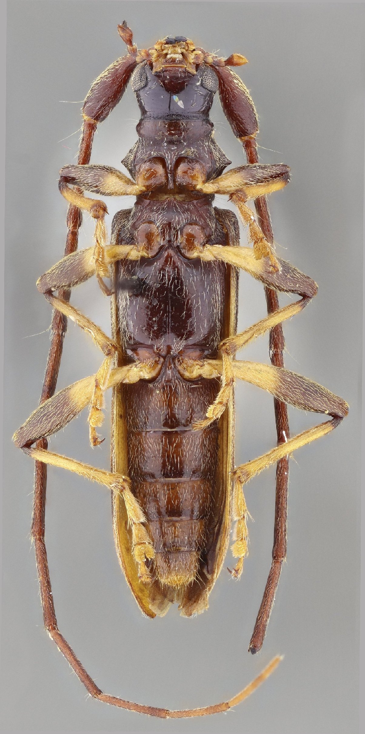
_SS_Hovore_MZSP_La_Muralla_Olancho_Honduras_SS.jpg)
Specimen Type: paratype Sex: f Institution: MZSP Museu de Zoologia da Universidade de São Paulo, Brazil Photographer: Antonio Santos-Silva Collection Location: La Muralla, Olancho, Honduras 53387
|
 SS Hov MZSP La Muralla, Olancho, Honduras.jpg)
Specimen Type: paratype Sex: f Institution: MZSP Museu de Zoologia da Universidade de São Paulo, Brazil Photographer: Juan Pablo Botero & Antonio Santos-Silva Collection Location: La Muralla, Olancho, Honduras 96516
|
|