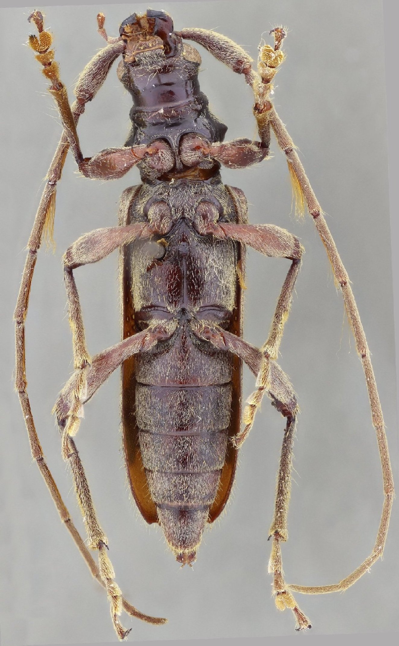
 SS Hov MZSP Mexcala, Guerrero, Mexico JPB SS.jpg)
Specimen Type: holotype Sex: f Institution: MZSP Museu de Zoologia da Universidade de São Paulo, Brazil Photographer: Juan Pablo Botero & Antonio Santos-Silva Collection Location: Mexcala, Guerrero, Mexico 24277
|
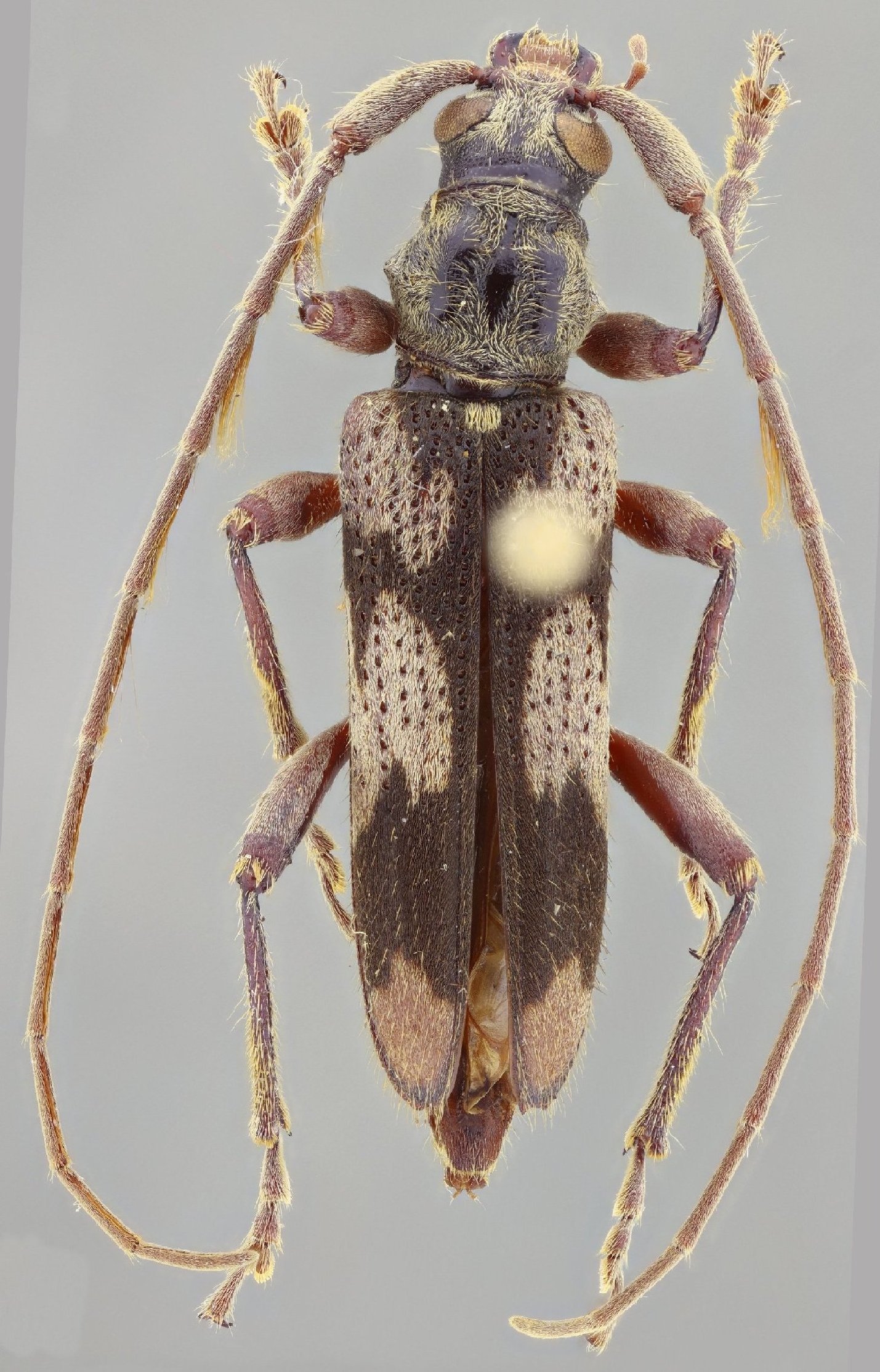
 SS Hov MZSP Mexcala, Guerrero, Mexico JPB SS.jpg)
Specimen Type: holotype Sex: f Institution: MZSP Museu de Zoologia da Universidade de São Paulo, Brazil Photographer: Juan Pablo Botero & Antonio Santos-Silva Collection Location: Mexcala, Guerrero, Mexico 96510
|

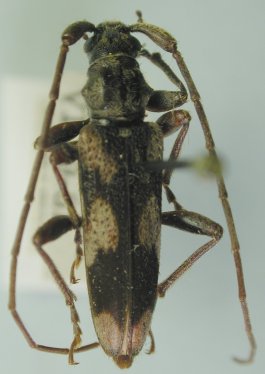
Institution: EMEC Essig Museum of Entomology, Berkeley, CA, USA Photographer: Larry G. Bezark Collection Location: Mexcala, Guerrero, Mexico 44930
|
|