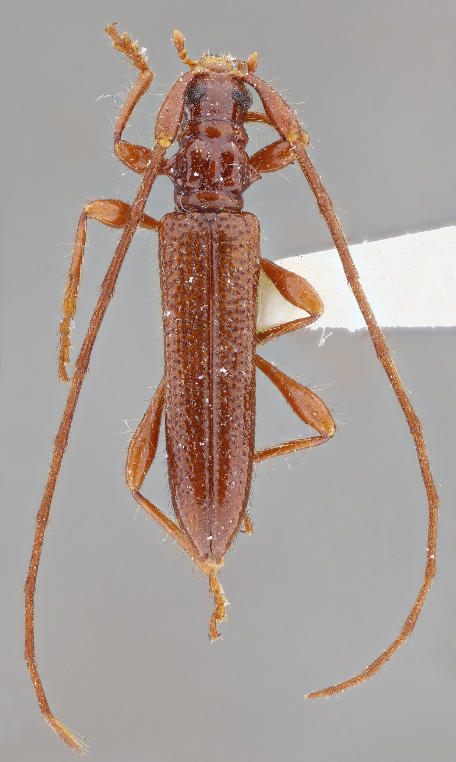
_SS_and_Hovore_ACMT_BCI_Panama.jpg)
Specimen Type: holotype Sex: m Institution: USNM United States National Museum, Washington, DC, USA Collection Location: Barro Colorado Island, Panama 25854
|
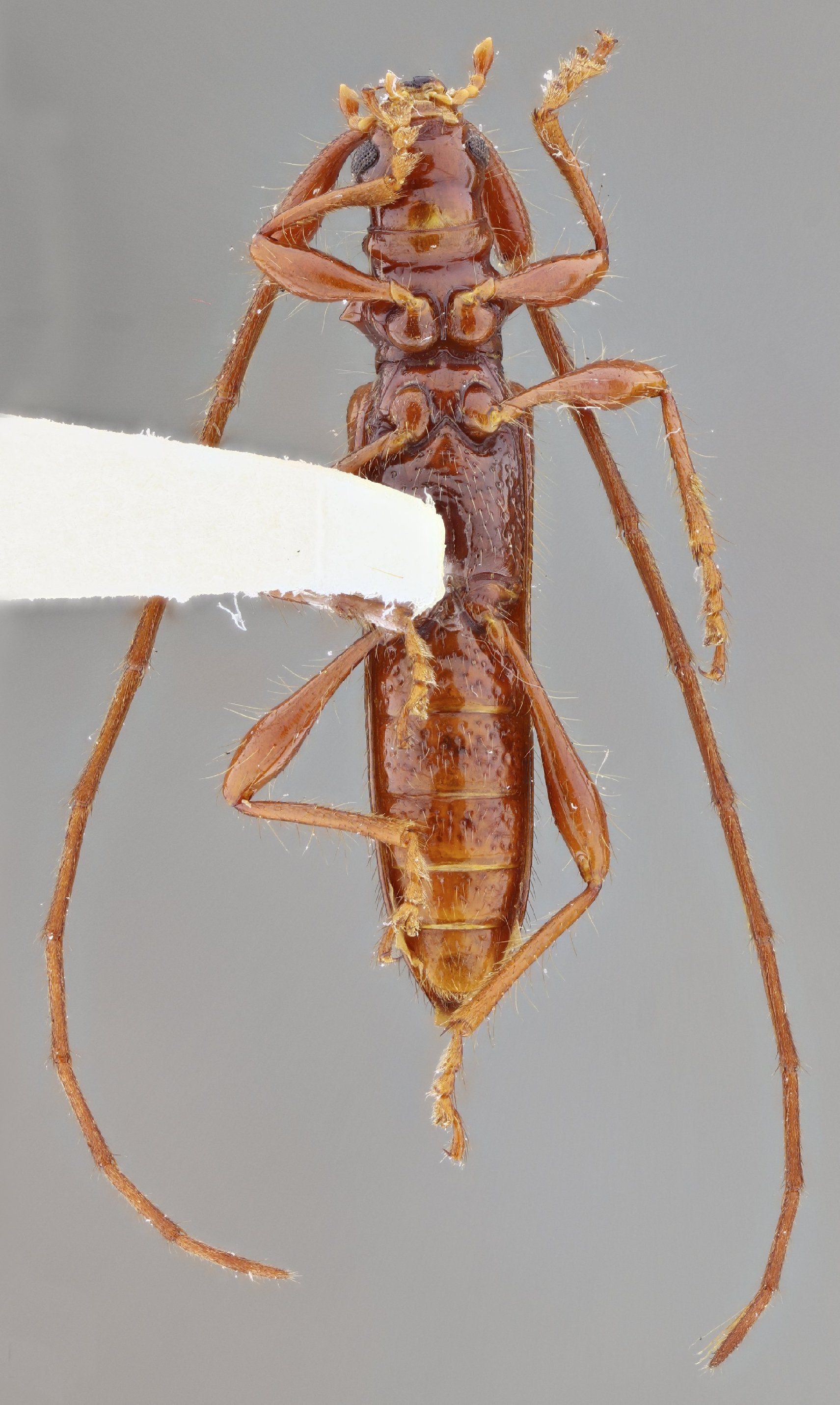
 SS Hov MZSP El Llano Carti Road, Panama JPB SS.jpg)
Specimen Type: paratype Sex: m Institution: MZSP Museu de Zoologia da Universidade de São Paulo, Brazil Photographer: Juan Pablo Botero & Antonio Santos-Silva Collection Location: El Llano Carti Road, Panama 96495
|