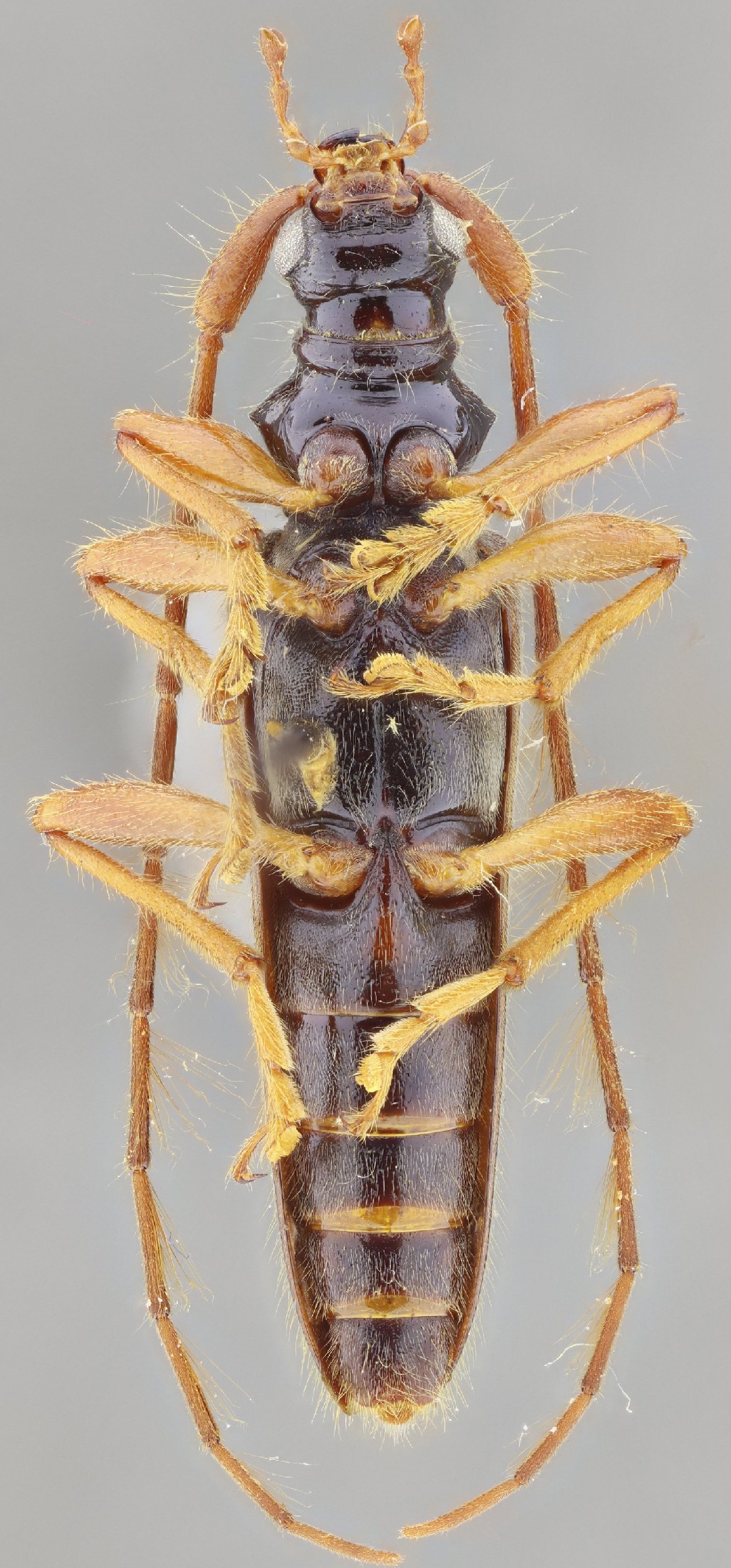
_bispinosa_(h-m)_Santos-Silva_and_Hovore_TAMU_19_mi_W_Xilitla_Queretaro_Mexico.jpg)
Specimen Type: holotype Sex: m Institution: TAMU Texas A & M University, College Station, Texas, USA Photographer: Antonio Santos-Silva Collection Location: 19 mi W Xilitla, Queretaro, Mexico 24274
|
 SS Hov MZSP 19 mi W Xilitla, Queretaro, Mexico JPB SS.jpg)
Specimen Type: paratype Sex: m Institution: MZSP Museu de Zoologia da Universidade de São Paulo, Brazil Photographer: Juan Pablo Botero & Antonio Santos-Silva Collection Location: 19 mi W Xilitla, Queretaro, Mexico 96493
|