_Santos-Silva_and_Hovore_ACMT_Cont_Divide_trail_Chirqui_Panama.jpg)
Specimen Type: holotype Sex: f Institution: USNM United States National Museum, Washington, DC, USA Photographer: Antonio Santos-Silva Collection Location: Continental Divide trail, Chiriqui, Panama 24268
|
_SS_and_Hovore_ACMT_Continental_Divide_trail_Chiriqui_Panama.jpg)
Specimen Type: holotype Sex: f Institution: USNM United States National Museum, Washington, DC, USA Photographer: Antonio Santos-Silva Collection Location: Continental Divide trail, Chiriqui, Panama 26240
|
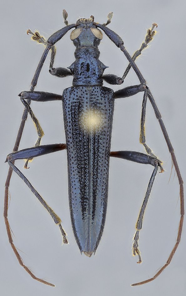
_MZSP_Rio_San_Lorenzo_Guanacaste_CR_SS.jpg)
Sex: m Institution: MZSP Museu de Zoologia da Universidade de São Paulo, Brazil Photographer: Antonio Santos-Silva Collection Location: Rio San Lorenzo, Guanacaste, Costa Rica 73260
|
|