 SS Hov MZSP Turrialba, Cartago, Costa Rica JPB SS.jpg)
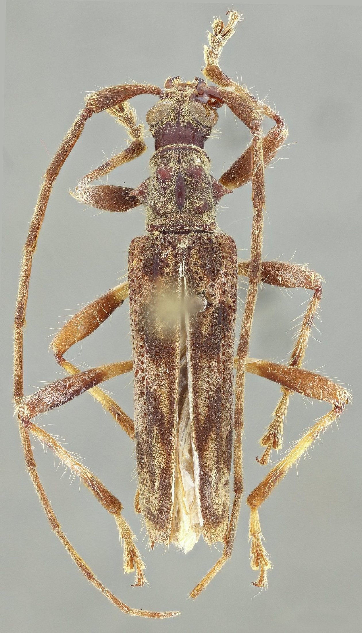
Specimen Type: holotype Sex: m Institution: MZSP Museu de Zoologia da Universidade de São Paulo, Brazil Photographer: Juan Pablo Botero & Antonio Santos-Silva Collection Location: Turrialba, Cartago, Costa Rica 24266
|
 SS Hov MZSP Turrialba, Cartago, Costa Rica JPB SS.jpg)
Specimen Type: holotype Sex: m Institution: MZSP Museu de Zoologia da Universidade de São Paulo, Brazil Photographer: Juan Pablo Botero & Antonio Santos-Silva Collection Location: Turrialba, Cartago, Costa Rica 96544
|