_SS_Hov_Bot_pic.jpg)
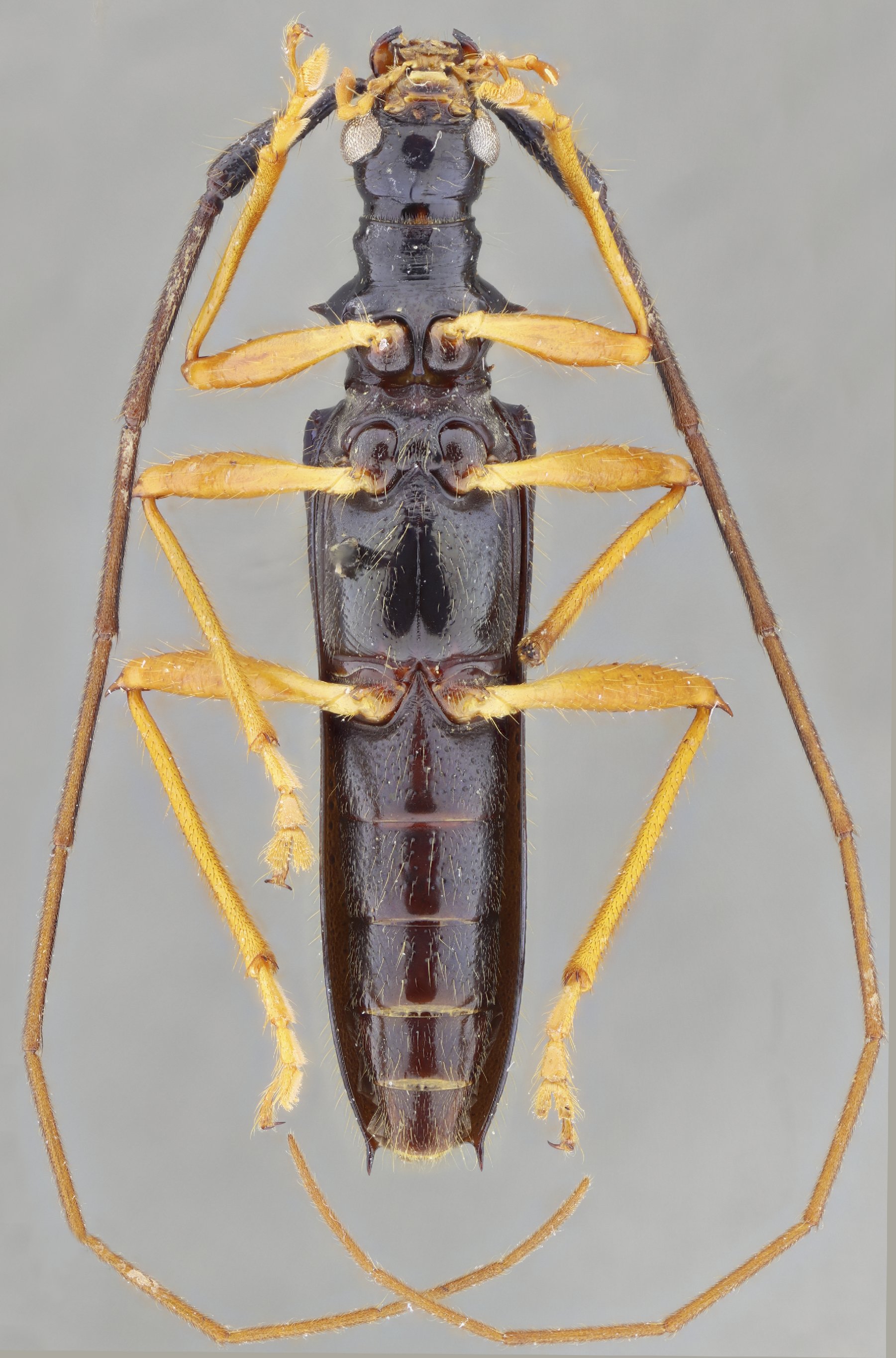
Specimen Type: holotype Sex: m Institution: MZSP Museu de Zoologia da Universidade de São Paulo, Brazil Photographer: Juan Pablo Botero Collection Location: Estacion Biologia Jatun Sacha, Napo, Ecuador 68779
|
_Santos-Silva_and_Hovore_MZSP_Est_Biol_Jatun_Sacha_Napo_Ecuador.jpg)
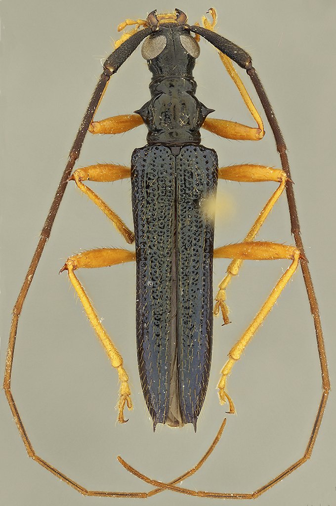
Specimen Type: holotype Sex: m Institution: MZSP Museu de Zoologia da Universidade de São Paulo, Brazil Photographer: Antonio Santos-Silva Collection Location: Estacion Biologia Jatun Sacha, Napo, Ecuador 24265
|
 SS Hov MZSP stacion Biologia Jatun Sacha, Napo, Ecuador JPB SS.jpg)
Specimen Type: holotype Sex: f Institution: MZSP Museu de Zoologia da Universidade de São Paulo, Brazil Photographer: Juan Pablo Botero & Antonio Santos-Silva Collection Location: Estacion Biologia Jatun Sacha, Napo, Ecuador 96543
|

Photographer: Larry G. Bezark Determiner: Santos-Silva Collection Location: Napo, Ecuador 24723
|
|