_SS_and_Hov_MNRJ_Buenaventura_Valle_de_Cauca_Colom.jpg)
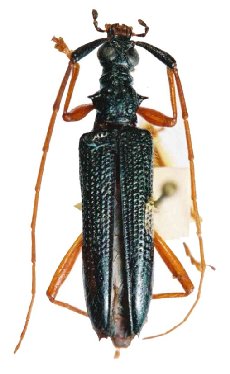
Specimen Type: holotype Sex: f Institution: MNRJ Museu Nacional Universidade do Rio Janeiro, Brazil Photographer: Larry G. Bezark Collection Location: Buenaventura, Valle de Cauca, Colombia 33655
|
_Santos-Silva_and_Hovore_MNRJ_Buenaventura_Valle_de_Cauca_Colombia.jpg)
Specimen Type: holotype Sex: f Institution: MNRJ Museu Nacional Universidade do Rio Janeiro, Brazil Photographer: Antonio Santos-Silva Collection Location: Buenaventura, Valle de Cauca, Colombia 24263
|