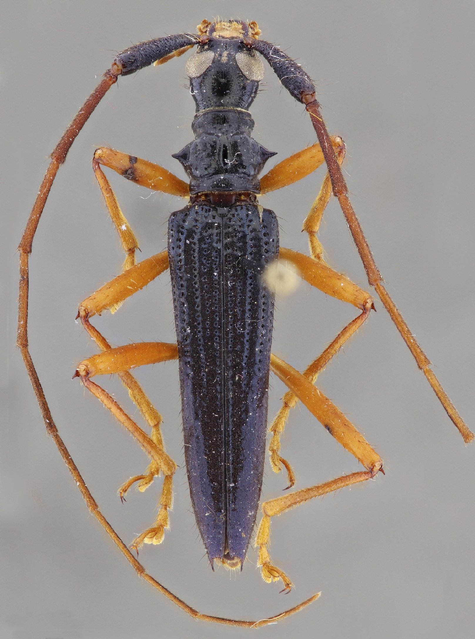
 SS Hov MZSP Pantiacolla Lodge, Rio Alto, Madre de Dios, Peru JPB SS.jpg)
Specimen Type: holotype Sex: m Institution: MZSP Museu de Zoologia da Universidade de São Paulo, Brazil Photographer: Juan Pablo Botero & Antonio Santos-Silva Collection Location: Pantiacolla Lodge, Rio Alto, Madre de Dios, Peru 96538
|
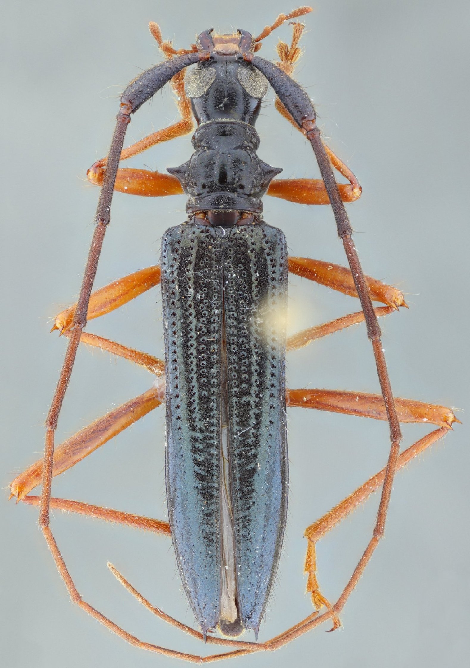
 SS Hov MZSP Pantiacolla Lodge, Rio Alto, Madre de Dios, Peru JPB SS.jpg)
Specimen Type: holotype Sex: m Institution: MZSP Museu de Zoologia da Universidade de São Paulo, Brazil Photographer: Juan Pablo Botero & Antonio Santos-Silva Collection Location: Pantiacolla Lodge, Rio Alto, Madre de Dios, Peru 96539
|
_Santos-Silva_and_Hovore_MZSP_Ecuador.jpg)
Specimen Type: paratype Sex: f Institution: MZSP Museu de Zoologia da Universidade de São Paulo, Brazil Photographer: Antonio Santos-Silva Collection Location: Ecuador 24258
|
 SS Hov MZSP Napo, Ecuador SS.jpg)
Specimen Type: paratype Sex: f Institution: MZSP Museu de Zoologia da Universidade de São Paulo, Brazil Photographer: Antonio Santos-Silva Collection Location: Napo, Ecuador 81036
|