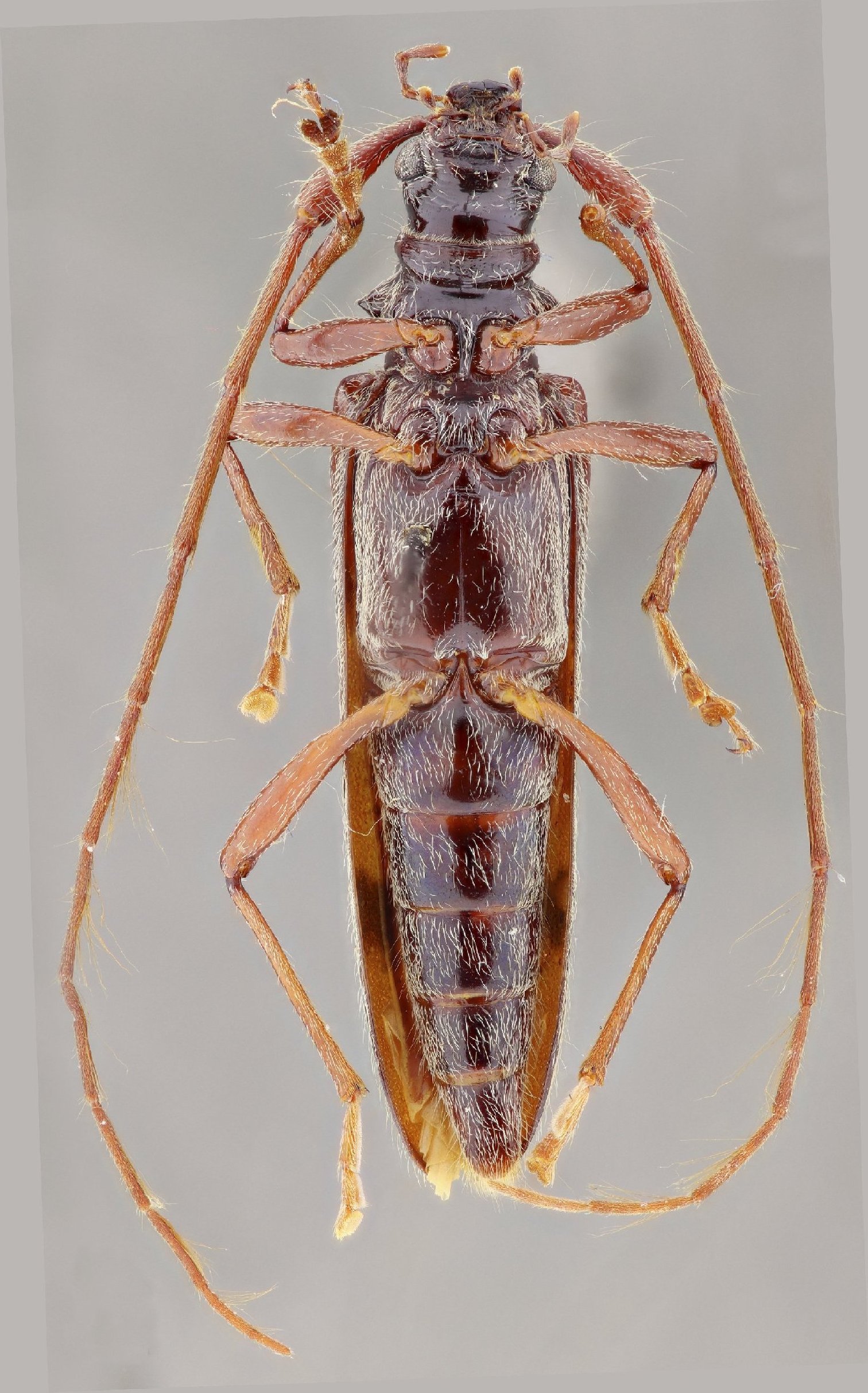
_Santos-Silva_and_Hovore_FSCA_Biotopo_del_Quetzal_Baja_Verapaz_Guatemala.jpg)
Specimen Type: holotype Sex: m Institution: FSCA Florida State Collection of Arthropods, Gainesville, FL, USA Photographer: Antonio Santos-Silva Collection Location: Biotopo del Quetzal, Baja Verapaz, Guatemala 24254
|
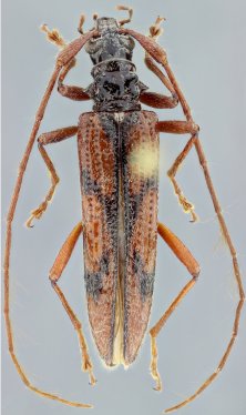
_Santos_Silva_and_Hovore_FSCA_Baja_Verapaz_Guatemala.jpg)
Specimen Type: holotype Sex: m Institution: FSCA Florida State Collection of Arthropods, Gainesville, FL, USA Collection Location: Biotopo del Quetzal, Baja Verapaz, Guatemala 24992
|
_SS_Hovore_MZSP_Biotopo_del_Quetzal_BajaVerapaz_Guat_SS.jpg)
Specimen Type: paratype Sex: f Institution: MZSP Museu de Zoologia da Universidade de São Paulo, Brazil Photographer: Antonio Santos-Silva Collection Location: Biotopo del Quetzal, Baja Verapaz, Guatemala 53405
|
 SS Hov MZSP Biotopo del Quetzal, Baja Verapaz, Guatemala JPB SS.jpg)
Specimen Type: paratype Sex: f Institution: MZSP Museu de Zoologia da Universidade de São Paulo, Brazil Photographer: Juan Pablo Botero & Antonio Santos-Silva Collection Location: Biotopo del Quetzal, Baja Verapaz, Guatemala 96535
|
|