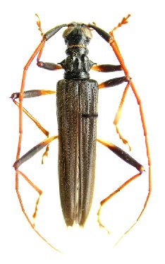
_Santos-Silva_and_Hovore_Cotopaxi_Ecuador_FSCA.jpg)
Specimen Type: holotype Institution: FSCA Florida State Collection of Arthropods, Gainesville, FL, USA Collection Location: Cotopaxi, Ecuador 24991
|
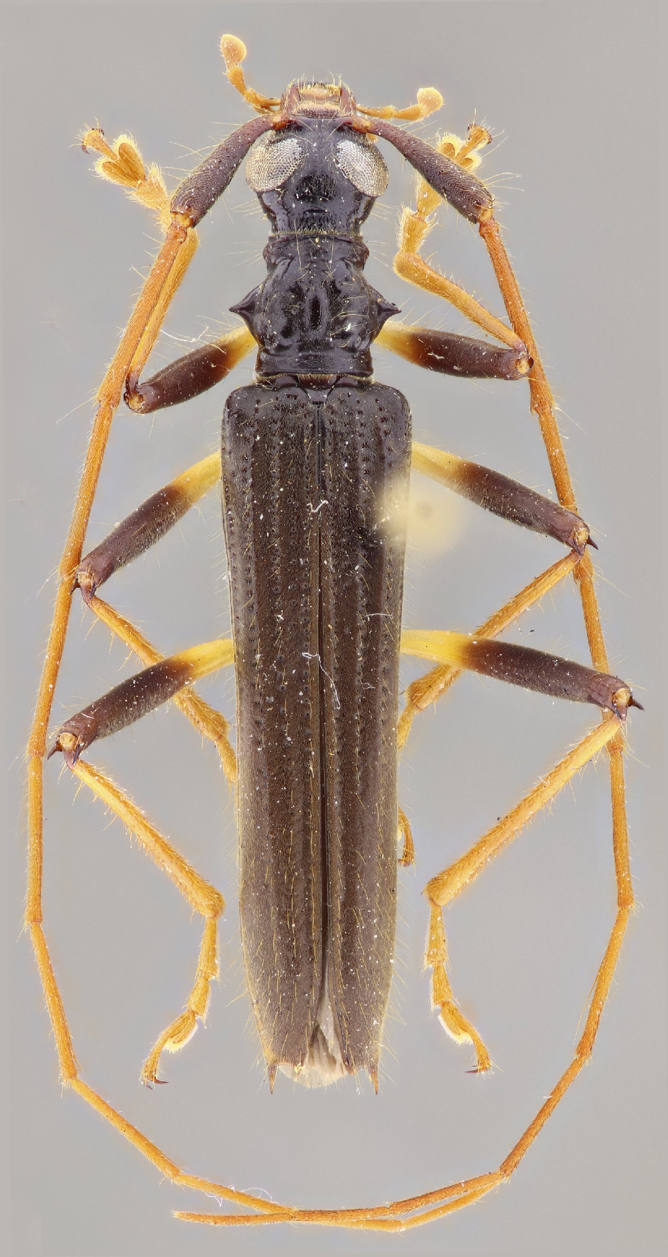
_Santos-Silva_and_Hovore_Las_Pampas_Cotopaxi_Ecuador.jpg)
Specimen Type: paratype Sex: f Photographer: Antonio Santos-Silva Collection Location: Las Pampas, Cotopaxi, Ecuador 24253
|
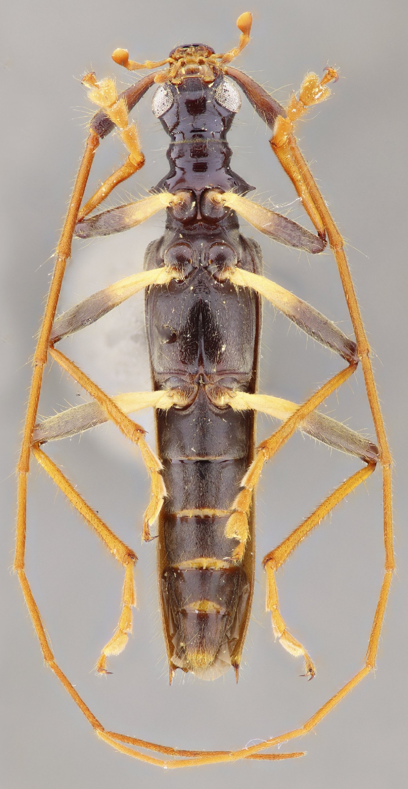
 SS Hov MZSP vic Las Pampas, Cotopaxi Prov, Ecuador JPB SS.jpg)
Specimen Type: paratype Sex: m Institution: MZSP Museu de Zoologia da Universidade de São Paulo, Brazil Photographer: Juan Pablo Botero & Antonio Santos-Silva Collection Location: vic Las Pampas, Cotopaxi Province, Ecuador 96533
|
 SS Hov MZSP vic Las Pampas, Cotopaxi Prov, Ecuador JPB SS.jpg)
Specimen Type: paratype Sex: m Institution: MZSP Museu de Zoologia da Universidade de São Paulo, Brazil Photographer: Juan Pablo Botero & Antonio Santos-Silva Collection Location: vic Las Pampas, Cotopaxi Province, Ecuador 96534
|
|