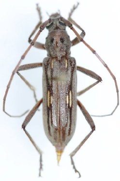
 Olivier BMNH Carolina, USA now Eburia Moure.jpg)
Cerambyx stigma Olivier Specimen Type: holotype Sex: f Institution: BMNH British Museum Natural History, London, UK Photographer: JS Moure Collection Location: Carolina, USA 100527
|
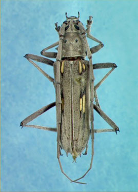
.jpg)
Cerambyx stigma Olivier Specimen Type: holotype Sex: f Institution: BMNH British Museum Natural History, London, UK Collection Location: Carolina, United States 7003
|
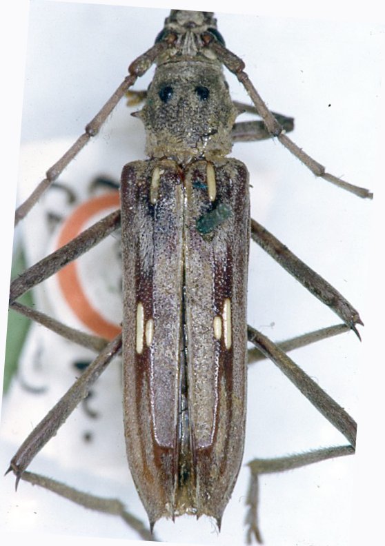
_Chev_BMNH_Cuba_now_stigma_LGB.jpg)
Eburia duvalii Chevrolat Specimen Type: syntype Institution: BMNH British Museum Natural History, London, UK Photographer: Larry G. Bezark Collection Location: Cuba 46649
|
_FSCA.jpg)
Institution: FSCA Florida State Collection of Arthropods, Gainesville, FL, USA Photographer: Mike Thomas 968
|
_LGB_replacement.jpg)
Photographer: Larry G. Bezark 3421
|
_FTH_Honduras.jpg)
Institution: FTH Frank T. Hovore collection (now at California Academy of Sciences) Photographer: Larry G. Bezark Collection Location: Honduras 7005
|
_Altagracia_MCZ.jpg)
Institution: MCZ Museum of Comparative Zoology, Harvard University, Cambridge, MA, USA Photographer: P. Naskrecki, P. Perkins, and B. Farrell Collection Location: La Altagracia, Dominican Republic 24869
|
_Altagracia_MCZ.jpg)
Institution: MCZ Museum of Comparative Zoology, Harvard University, Cambridge, MA, USA Photographer: P. Naskrecki, P. Perkins, and B. Farrell Collection Location: La Altagracia, Dominican Republic 24870
|
_Altagracia_MCZ.jpg)
Institution: MCZ Museum of Comparative Zoology, Harvard University, Cambridge, MA, USA Photographer: P. Naskrecki, P. Perkins, and B. Farrell Collection Location: La Altagracia, Dominican Republic 24871
|
_MCZ.jpg)
Institution: MCZ Museum of Comparative Zoology, Harvard University, Cambridge, MA, USA Photographer: P. Naskrecki, P. Perkins, and B. Farrell Collection Location: La Altagracia, Dominican Republic 24872
|

Photographer: Steve Lingafelter Collection Location: Nicaragua 25770
|
|