_M_and_M_MNRJ_Ouro_Preto_do_Oeste_RO_Brazil.jpg)
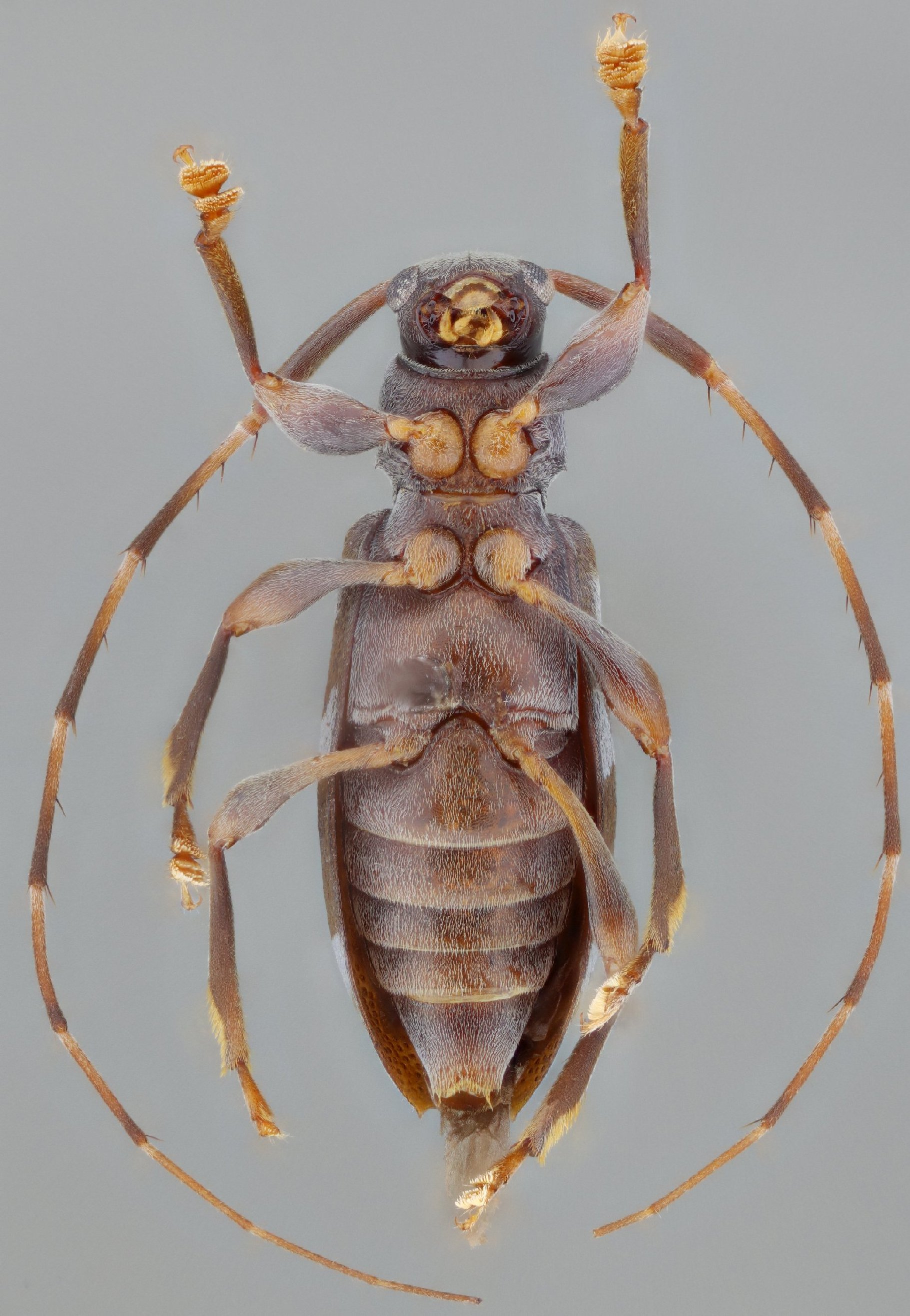
Pseudolepturges caesius Monné & Monné Specimen Type: holotype Sex: f Institution: MNRJ Museu Nacional Universidade do Rio Janeiro, Brazil Photographer: Larry G. Bezark Collection Location: Ouro Preto do Oeste, Rondonia, Brazil 33783
|
_Monne_and_Monne_MNRJ_Ouro_Preto_do_Oeste_Rondonia_Brazil.jpg)
Pseudolepturges caesius Monné & Monneé Specimen Type: holotype Sex: f Institution: MNRJ Museu Nacional Universidade do Rio Janeiro, Brazil Collection Location: Ouro Preto do Oeste, Rondonia, Brazil 24432
|
 (Monn Monn) MZSP Rio Tocantins, Para, Brazil SS.jpg)
Sex: f Institution: MZSP Museu de Zoologia da Universidade de São Paulo, Brazil Photographer: Antonio Santos-Silva Collection Location: Rio Tocantins, Para, Brazil 81224
|
 (Monn Monn) MZSP Rio Tocantins, Para, Brazil SS.jpg)
Sex: f Institution: MZSP Museu de Zoologia da Universidade de São Paulo, Brazil Photographer: Antonio Santos-Silva Collection Location: Rio Tocantins, Para, Brazil 81225
|
 (Monn Monn) MZSP Rio Tocantins, Para, Brazil SS.jpg)
Sex: f Institution: MZSP Museu de Zoologia da Universidade de São Paulo, Brazil Photographer: Antonio Santos-Silva Collection Location: Rio Tocantins, Para, Brazil 81226
|
 (Monn Monn) MZSP Rio Tocantins, Para, Brazil SS.jpg)
Sex: f Institution: MZSP Museu de Zoologia da Universidade de São Paulo, Brazil Photographer: Antonio Santos-Silva Collection Location: Rio Tocantins, Para, Brazil 81227
|
|