
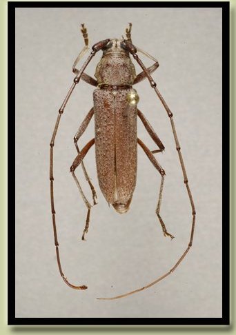
Specimen Type: holotype Institution: BMNH British Museum Natural History, London, UK Photographer: Steve Lingafelter Collection Location: Bany, Dominican Republic 45718
|

Institution: NMNH United States National Museum, Washington, DC, USA Photographer: Steve Lingafelter 45719
|