New Search Family, Subfamily and Tribe List

SubFamily Cerambycinae

Tribe Hexoplonini
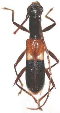
Gnomidolon gemuseusi Clarke 2007

Specimen Type: holotype
Sex: f
Institution: MNKM Museo de Hist Nat Noel Kempff Mercado Santa Cruz de la Sierra, Bolivia
Collection Location: Buena Vista, Santa Cruz, Bolivia
24296

130425