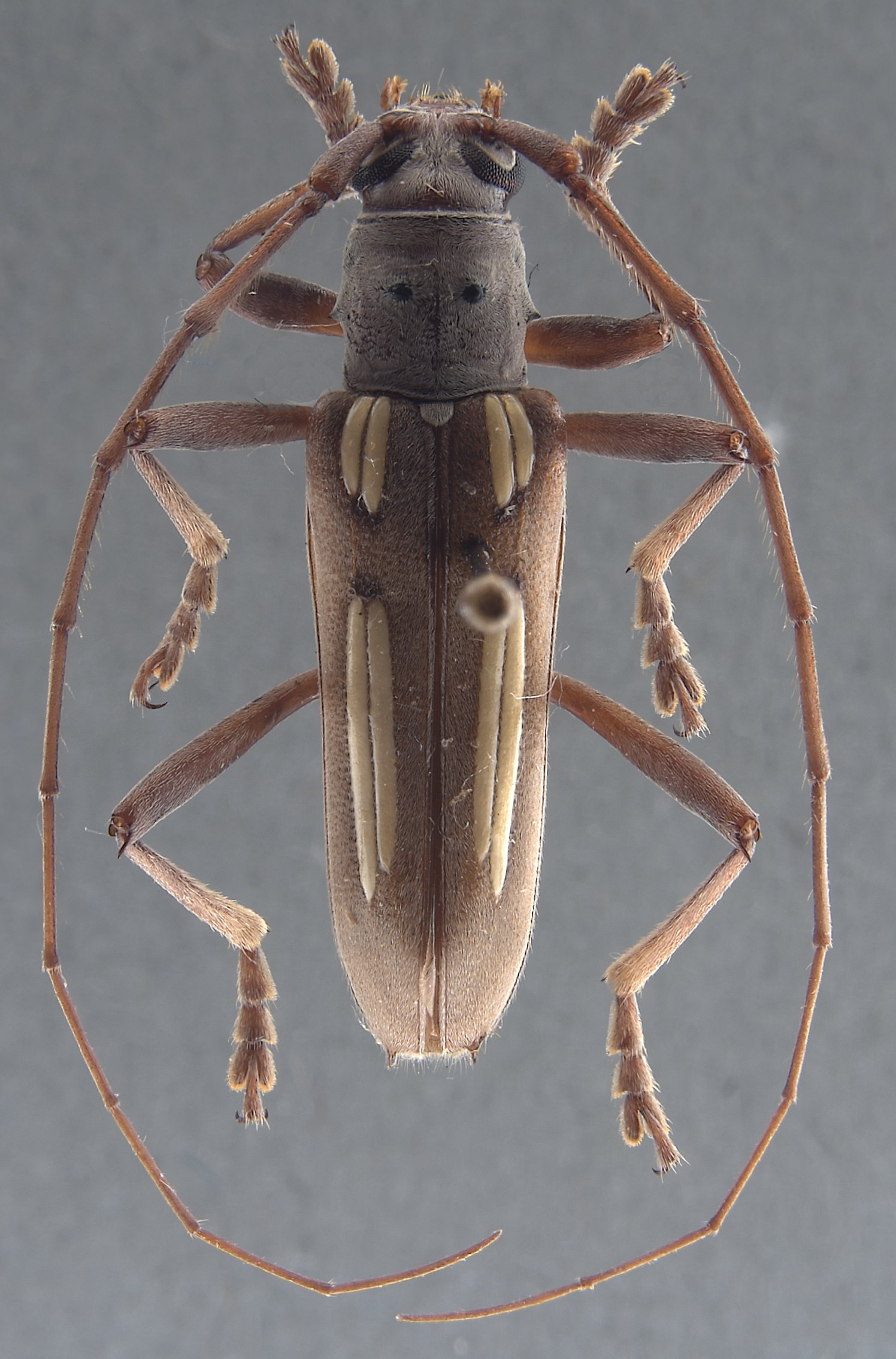
_Giesbert_CASTYPE19822_RBD.jpg)
Specimen Type: holotype Sex: m Institution: CAS California Academy of Sciences, San Francisco, CA, USA Photographer: Rachel Diaz-Bastin Collection Location: 16 km W Ocozocoautla, Chiapas, Mexico 69237
|
_Giesbert_CASTYPE19822_RBD.jpg)
Specimen Type: holotype Sex: m Institution: CAS California Academy of Sciences, San Francisco, CA, USA Photographer: Rachel Diaz-Bastin Collection Location: 16 km W Ocozocoautla, Chiapas, Mexico 69238
|
_Giesbert_CASTYPE19822_RBD.jpg)
Specimen Type: holotype Sex: m Institution: CAS California Academy of Sciences, San Francisco, CA, USA Photographer: Rachel Diaz-Bastin Collection Location: 16 km W Ocozocoautla, Chiapas, Mexico 69239
|
_Giesbert_CASTYPE19822_RBD.jpg)
Specimen Type: holotype Sex: m Institution: CAS California Academy of Sciences, San Francisco, CA, USA Photographer: Rachel Diaz-Bastin Collection Location: 16 km W Ocozocoautla, Chiapas, Mexico 69240
|
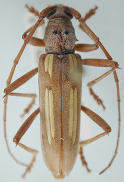
_16km_W_Ocozocoautla_Chiapas_Mexico_UCB.jpg)
Specimen Type: allotype Institution: UCB Essig Museum of Entomology, Berkeley, California, USA Photographer: Larry G. Bezark Collection Location: 16km W Ocozocoautla, Chiapas, Mexico 16197
|

Institution: UCB Essig Museum of Entomology, Berkeley, California, USA Photographer: Larry G. Bezark Determiner: Noguera Collection Location: Guatemala 6995
|

Photographer: Felipe Noguera 6996
|
|