New Search Family, Subfamily and Tribe List

SubFamily Cerambycinae

Tribe Clytini
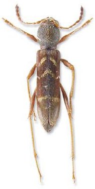
Cetimaju abare Galileo & Martins 2007

Specimen Type: holotype
Sex: f
Institution: MZSP Museu de Zoologia da Universidade de São Paulo, Brazil
Collection Location: Magdalena, Colombia
22853

130425