_Bates_BMNH_Cordoba_VC_Mex_nowSusuacanga_LGB.jpg)
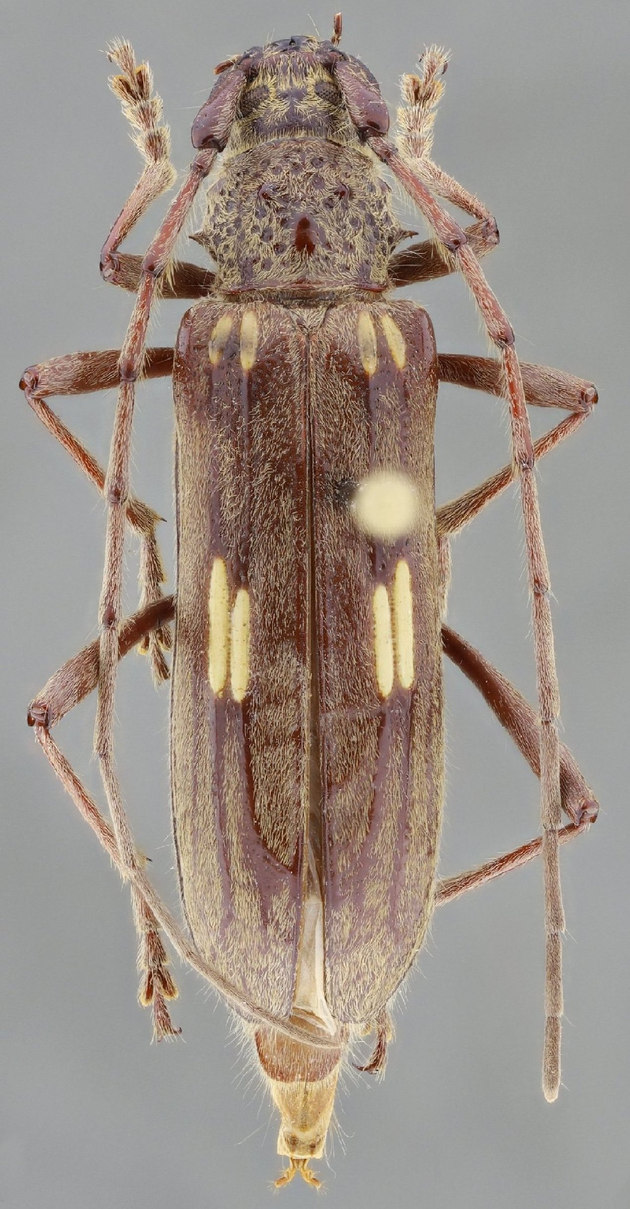
Eburia rotundipennis Bates Specimen Type: holotype Institution: BMNH British Museum Natural History, London, UK Photographer: Larry G. Bezark Collection Location: Cordoba, Veracruz, Mexico 46653
|
.jpg)
Eburia rotundipennis Bates Specimen Type: holotype Institution: BMNH British Museum Natural History, London, UK Collection Location: Cordoba, Veracruz, Mexico 6990
|

Institution: BCA Biologia Centrali Americana 6991
|
 (Bates) DJH Bolanos, Sierra Huichola, Jalisco, Mexico SS.jpg)
Sex: f Institution: Heffern Collection Photographer: Antonio Santos-Silva Collection Location: Bolanos, Sierra Huichola, Jalisco, Mexico 6992
|

Institution: UCB Essig Museum of Entomology, Berkeley, California, USA Determiner: Noguera Collection Location: Mexico 20274
|
|