New Search Family, Subfamily and Tribe List

SubFamily Lamiinae

Tribe Hemilophini
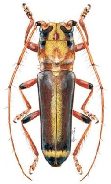
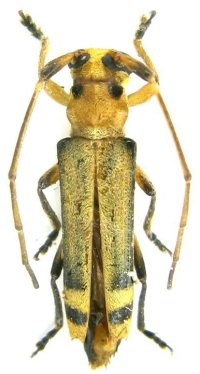
Apagomerina odettae Martins & Galileo 2007

Specimen Type: holotype
Sex: m
Institution: MZSP Museu de Zoologia da Universidade de São Paulo, Brazil
Collection Location: Kaw, French Guiana
22193


Photographer: Jean-Louis Giuglaris
Collection Location: Kaw, French Guiana
28591

130425