New Search Family, Subfamily and Tribe List

SubFamily Lamiinae

Tribe Hemilophini
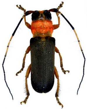
Apagomerina faceta Martins & Galileo 2007

Specimen Type: holotype
Sex: m
Institution: MCNZ Museu de Ciencas Naturais, Fundacao Zoobotanica do Rio Grande do Sul, Brazil
Collection Location: Kaw, French Guiana
22192


Photographer: Jean-Louis Giuglaris
Collection Location: Kaw, French Guiana
28590

130425