New Search Family, Subfamily and Tribe List

SubFamily Lamiinae

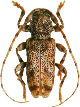
Tribe Acanthoderini
Punctozotroctes wappesi Tavakilian & Neouze 2007

Photographer: Denis Faure
Collection Location: French Guiana
23757


Collection Location: French Guiana
23758


Photographer: Odette Morvan
Collection Location: French Guiana
40195

130425