New Search Family, Subfamily and Tribe List

SubFamily Lamiinae

Tribe Acanthoderini
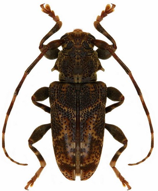
Punctozotroctes guianensis Tavakilian & Neouze 2007

Photographer: Jean-Louis Giuglaris
Collection Location: Belizon, French Guiana
29312


Photographer: Denis Faure
Collection Location: French Guiana
23753


Sex: f
Photographer: Jean-Louis Giuglaris
Collection Location: Kaw, French Guiana
23754


Sex: m
Institution: MNRJ Museu Nacional Universidade do Rio Janeiro, Brazil
Collection Location: Corcovado, Rio de Janeiro, Brazil
27634

130425