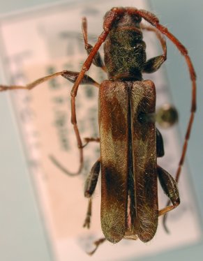
_Monne_EMEC_Vara_Blanca_Alajuela_CR_LGB.jpg)
Specimen Type: holotype Sex: m Institution: EMEC Essig Museum of Entomology, Berkeley, CA, USA Photographer: Larry G. Bezark Collection Location: Vara Blanca, Alajuela, Costa Rica 42190
|
_Monne_EMEC_Vara_Blanca_Alajuela_CR.jpg)
Specimen Type: holotype, paratype Sex: mf Institution: EMEC Essig Museum of Entomology, Berkeley, CA, USA Collection Location: Vara Blanca, Alajuela, Costa Rica 22257
|