New Search Family, Subfamily and Tribe List

SubFamily Cerambycinae

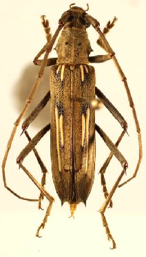
Tribe Eburiini
Eburia pseudostigma Lingafelter & Nearns 2007

Specimen Type: holotype
Institution: NMNH United States National Museum, Washington, DC, USA
Photographer: Steve Lingafelter
Collection Location: Dominican Republic
21511


Collection Location: Dominican Republic
21510

130425