_Hovore_and_Santos-Silva_ACMT_Barro_Colorado_Island_Panama.jpg)
Cometes turnbowi Hovore & Santos-Silva Specimen Type: holotype Sex: f Institution: USNM United States National Museum, Washington, DC, USA Collection Location: Barro Colorado Island, Panama 21478
|
_Hov_and_Santos-Silva_ACMT.jpg)
Cometes turnbowi Hovore & Santos-Silva Specimen Type: holotype Sex: f Institution: USNM United States National Museum, Washington, DC, USA Collection Location: Barro Colorado Island, Panama 25674
|
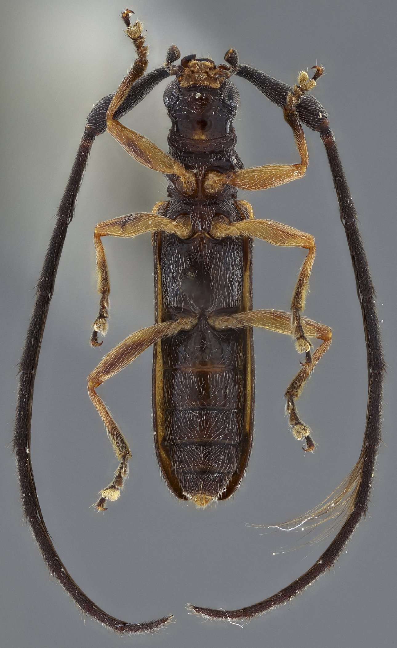
_Hov_SS_MZSP_BCI_Panama_now_Cupecuara_SS.jpg)
Cometes turnbowi Hovore & Santos-Silva Specimen Type: paratype Sex: f Institution: MZSP Museu de Zoologia da Universidade de São Paulo, Brazil Photographer: Antonio Santos-Silva Collection Location: Barro Colorado Island, Panama 73512
|
_Hov_SS_MZSP_BCI_Panama_now_Cupecuara_SS.jpg)
Cometes turnbowi Hovore & Santos-Silva Specimen Type: paratype Sex: f Institution: MZSP Museu de Zoologia da Universidade de São Paulo, Brazil Photographer: Antonio Santos-Silva Collection Location: Barro Colorado Island, Panama 73513
|
_Hov_SS_MZSP_BCI_Panama_now_Cupecuara_SS.jpg)
Cometes turnbowi Hovore & Santos-Silva Specimen Type: paratype Sex: f Institution: MZSP Museu de Zoologia da Universidade de São Paulo, Brazil Photographer: Antonio Santos-Silva Collection Location: Barro Colorado Island, Panama 73514
|
_Hov_SS_MZSP_BCI_Panama_now_Cupecuara_SS.jpg)
Cometes turnbowi Hovore & Santos-Silva Specimen Type: paratype Sex: f Institution: MZSP Museu de Zoologia da Universidade de São Paulo, Brazil Photographer: Antonio Santos-Silva Collection Location: Barro Colorado Island, Panama 73515
|
_(Hov_SS)_MZSP_Fort_Kobbe_Panama_SS.jpg)
Sex: m Institution: MZSP Museu de Zoologia da Universidade de São Paulo, Brazil Photographer: Antonio Santos-Silva Collection Location: Fort Kobbe, Canal Zone, Panama 73524
|
_(Hov_SS)_MZSP_Fort_Kobbe_Panama_SS.jpg)
Sex: m Institution: MZSP Museu de Zoologia da Universidade de São Paulo, Brazil Photographer: Antonio Santos-Silva Collection Location: Fort Kobbe, Canal Zone, Panama 73525
|
_(Hov_SS)_MZSP_Fort_Kobbe_Panama_SS.jpg)
Sex: m Institution: MZSP Museu de Zoologia da Universidade de São Paulo, Brazil Photographer: Antonio Santos-Silva Collection Location: Fort Kobbe, Canal Zone, Panama 73526
|
_(Hov_SS)_MZSP_Fort_Kobbe_Panama_SS.jpg)
Sex: m Institution: MZSP Museu de Zoologia da Universidade de São Paulo, Brazil Photographer: Antonio Santos-Silva Collection Location: Fort Kobbe, Canal Zone, Panama 73527
|