_Hov_and_SS_MNRJ_Ixiamas_Beni_Bolivia_=_America.jpg)
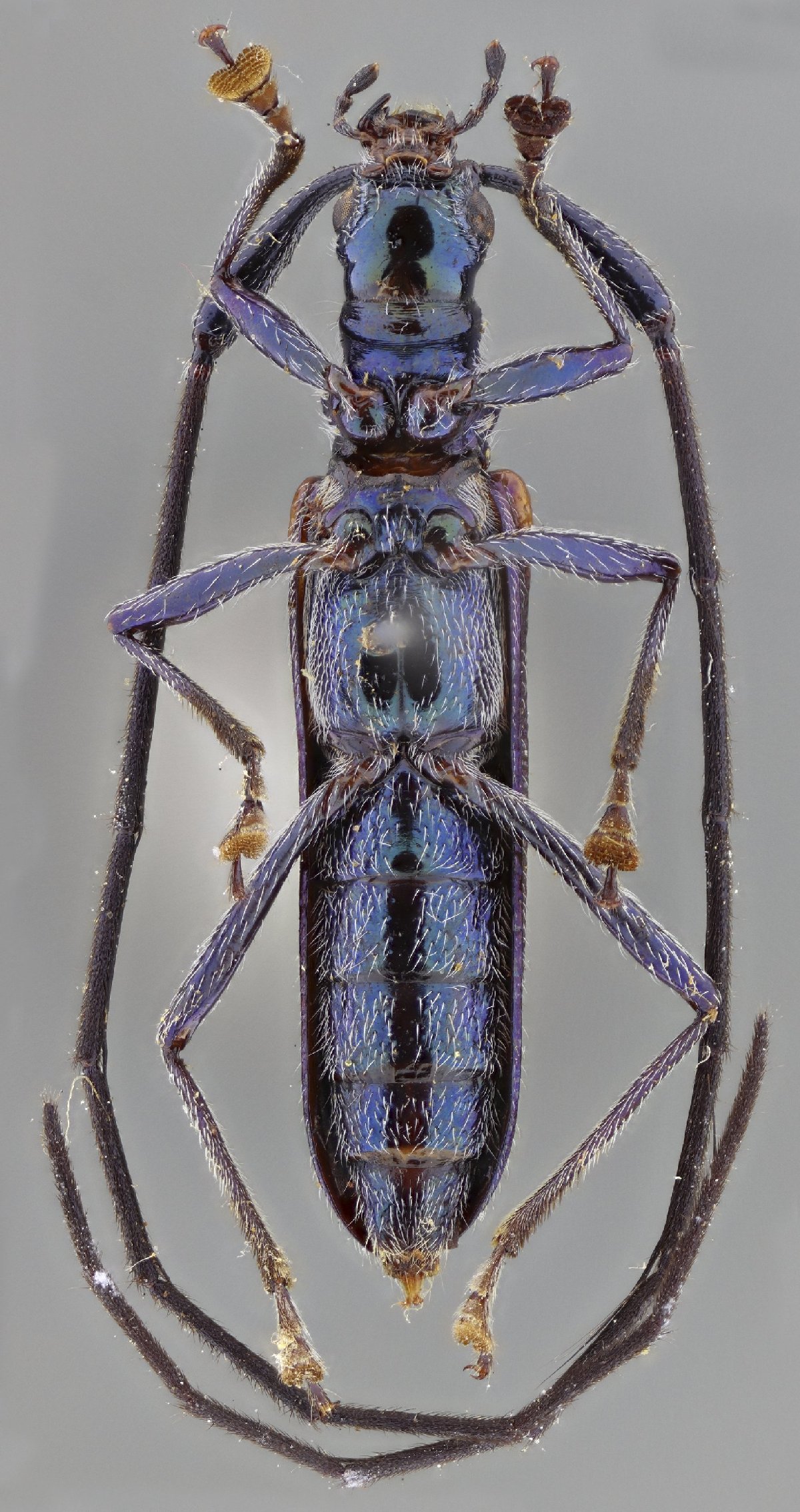
Cometes solangeae Hovore & Santos-Silva Specimen Type: holotype Sex: m Institution: MNRJ Museu Nacional Universidade do Rio Janeiro, Brazil Photographer: Larry G. Bezark Collection Location: Ixiamas, Beni, Bolivia 33220
|
 Hov SS MZSP Rio Branco, Acre, Brazil now America JPB SS.jpg)
Cometes solangeae Hovore & Santos-Silva Specimen Type: paratype Sex: f Institution: MZSP Museu de Zoologia da Universidade de São Paulo, Brazil Photographer: Juan Pablo Botero & Antonio Santos-Silva Collection Location: Rio Branco, Acre, Brazil 96465
|