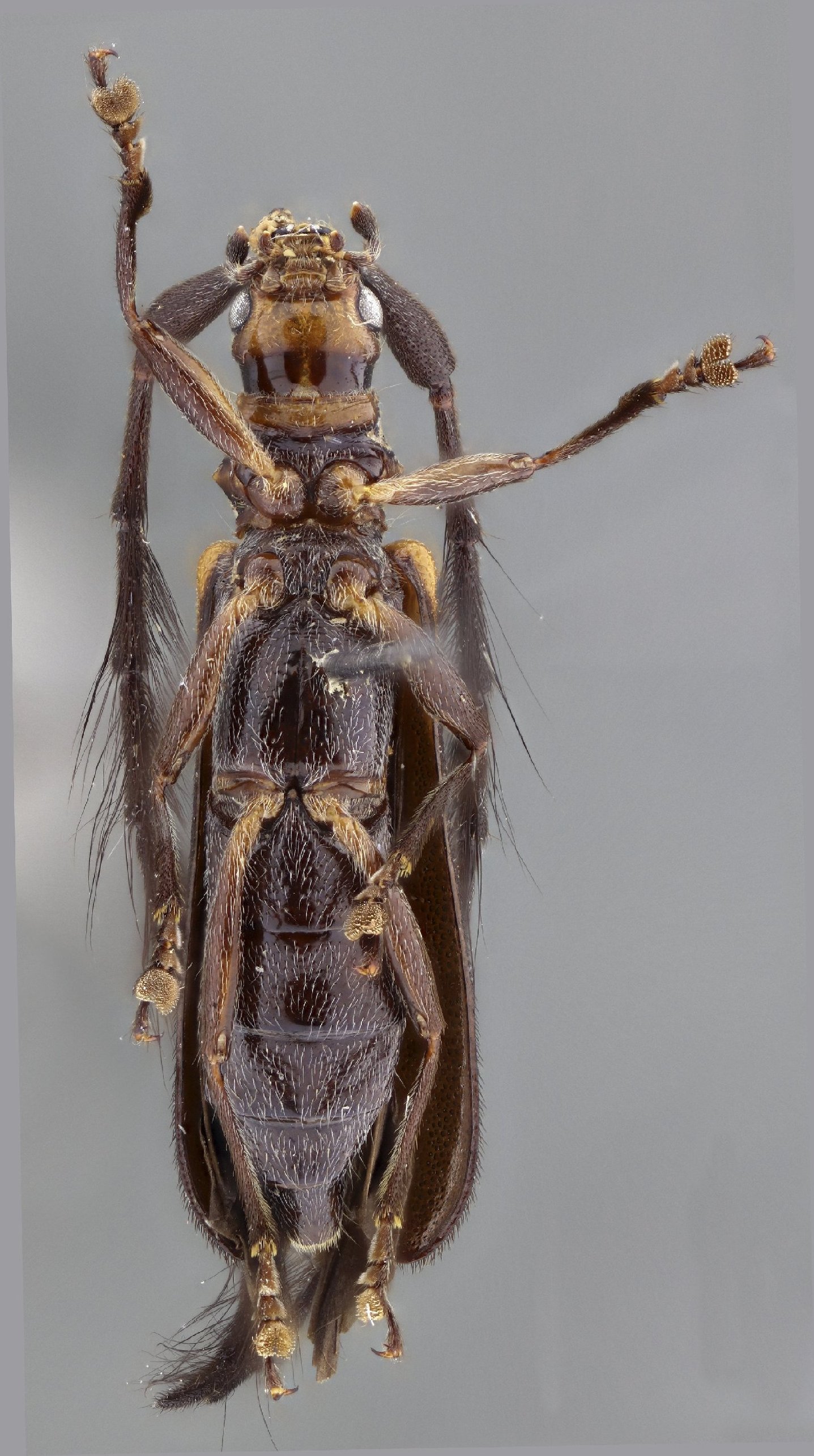
_Hov_and_SS_MNRJ_Pocos_de_Caldas_MG_Brazil.jpg)
Specimen Type: holotype Sex: m Institution: MNRJ Museu Nacional Universidade do Rio Janeiro, Brazil Photographer: Larry G. Bezark Collection Location: Pocos de Caldas, Minas Gerais, Brasil 33219
|
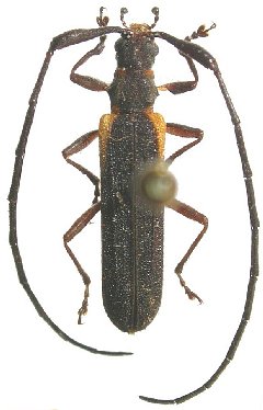
_Hovore_and_Santos-Silva_MNRJ_Pocos_de_Caldas_Minas_Gerais_Brasil.jpg)
Specimen Type: holotype Sex: m Institution: MNRJ Museu Nacional Universidade do Rio Janeiro, Brazil Collection Location: Pocos de Caldas, Minas Gerais, Brasil 21470
|
 Hov SS MZSP Taguatinga, Federal District, Brasilia, Brazil JPB SS.jpg)
Specimen Type: paratype Sex: f Institution: MZSP Museu de Zoologia da Universidade de São Paulo, Brazil Photographer: Juan Pablo Botero & Antonio Santos-Silva Collection Location: Taguatinga, Federal District, Brasilia, Brazil 96463
|
 Hov SS MZSP Taguatinga, Federal District, Brasilia, Brazil JPB SS.jpg)
Specimen Type: paratype Sex: f Institution: MZSP Museu de Zoologia da Universidade de São Paulo, Brazil Photographer: Juan Pablo Botero & Antonio Santos-Silva Collection Location: Taguatinga, Federal District, Brasilia, Brazil 96464
|
|