_Hov_and_SS_MNRJ_Ouro_Preto_de_Oeste_RO_=_America.jpg)
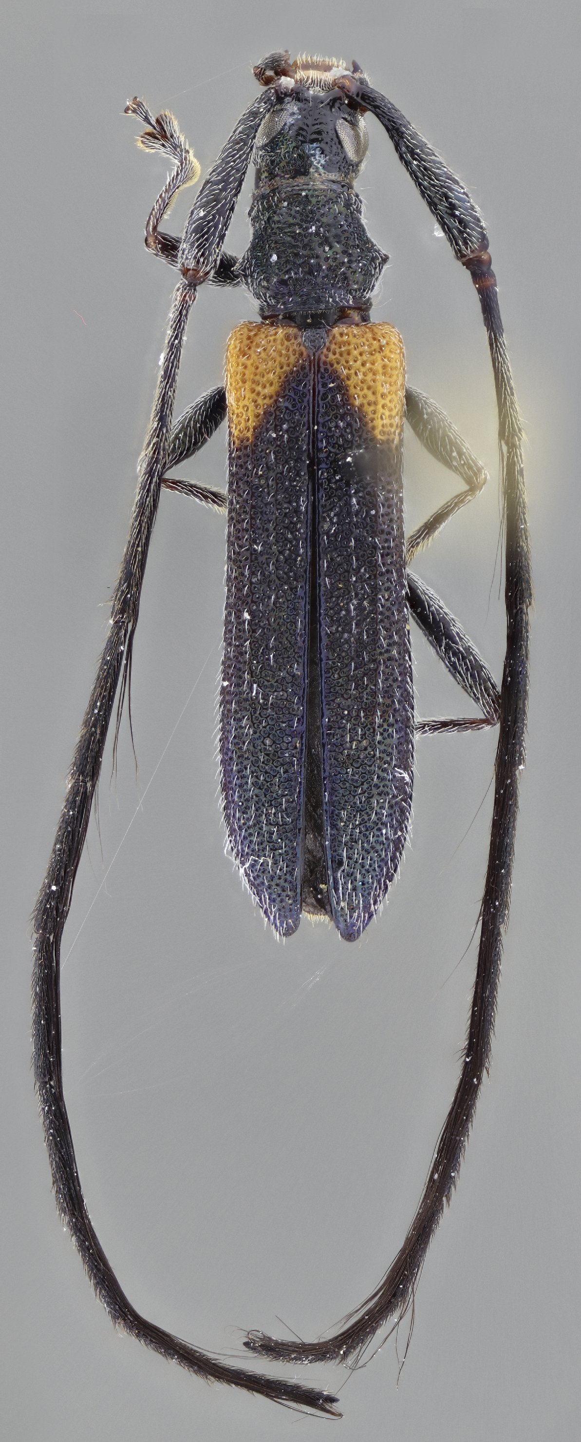
Cometes mariahelenae Hovore & Santos-Silva Specimen Type: holotype Sex: m Institution: MNRJ Museu Nacional Universidade do Rio Janeiro, Brazil Photographer: Larry G. Bezark Collection Location: Ouro Preto de Oeste, Rondonia, Brazil 33218
|
_Hovore_and_Santos-Silva_MNRJ_Ouro_Preto_de_Oeste_Rondonia_Brasil.jpg)
Cometes mariahelenae Hovore & Santos-Silva Specimen Type: holotype Sex: m Institution: MNRJ Museu Nacional Universidade do Rio Janeiro, Brazil Collection Location: Ouro Preto de Oeste Rondonia, Brasil 21469
|
 Hov SS MZSP 62 km SW Ariquemes, Rond now America JPB SS.jpg)
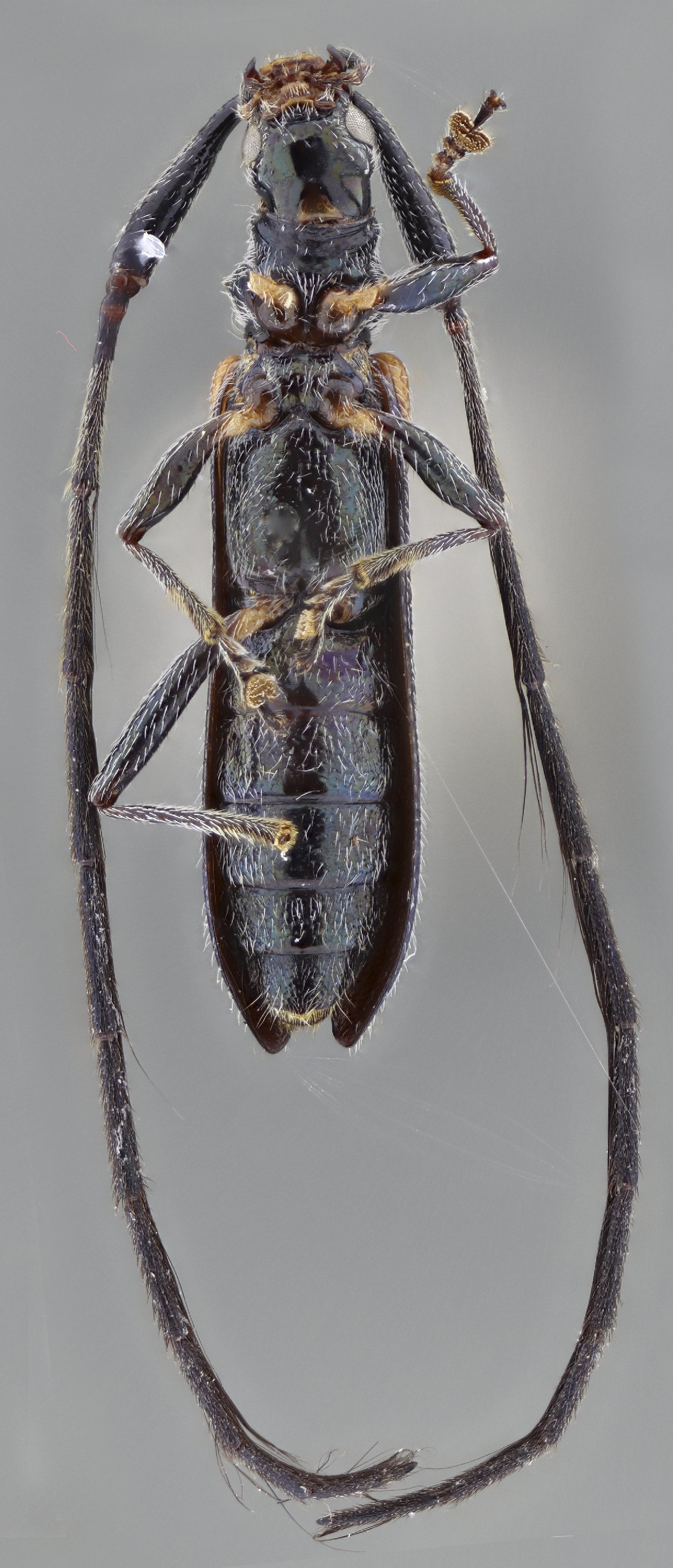
Cometes mariahelenae Hovore & Santos-Silva Specimen Type: paratype Sex: f Institution: MZSP Museu de Zoologia da Universidade de São Paulo, Brazil Photographer: Juan Pablo Botero & Antonio Santos-Silva Collection Location: 62 km SW Ariquemes, Rondonia, Brazil 96457
|
 Hov SS MZSP 62 km SW Ariquemes, Rond now America JPB SS.jpg)
Cometes mariahelenae Hovore & Santos-Silva Specimen Type: paratype Sex: f Institution: MZSP Museu de Zoologia da Universidade de São Paulo, Brazil Photographer: Juan Pablo Botero & Antonio Santos-Silva Collection Location: 62 km SW Ariquemes, Rondonia, Brazil 96458
|
_(Hov_SS)_MZSP_Res_Ethnica_Waorani_Napo_EC_SS.jpg)
Sex: f Institution: MZSP Museu de Zoologia da Universidade de São Paulo, Brazil Photographer: Antonio Santos-Silva Collection Location: Res. Ethnica Waorani, Napo, Ecuador 73253
|
|