New Search Family, Subfamily and Tribe List

SubFamily Lamiinae

Tribe Hemilophini
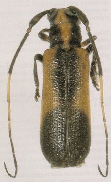
Eranina piterpe Galileo & Martins 2007

Specimen Type: holotype
Sex: f
Institution: UASC Museo de Hist Nat Noel Kempff Mercado Santa Cruz de la Sierra, Bolivia
Collection Location: Portrerillos del Guenda Santa Cruz, Bolivia
21315


63767

130425