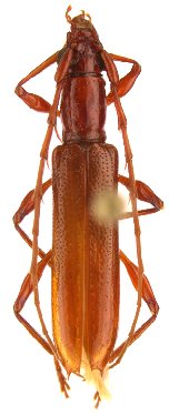
_Toledo_EMEC_Turrialba_CR.jpg)
Specimen Type: holotype Sex: m Institution: EMEC Essig Museum of Entomology, Berkeley, CA, USA Photographer: Larry G. Bezark Collection Location: Turrialba, Costa Rica 42501
|
_Toledo_EMEC_Turrialba_CR3.jpg)
Specimen Type: holotype Sex: m Institution: EMEC Essig Museum of Entomology, Berkeley, CA, USA Photographer: Larry G. Bezark Collection Location: Turrialba, Costa Rica 42502
|
_Toledo_EMEC_Cerro_Campana_Panama.jpg)
Specimen Type: paratype Institution: EMEC Essig Museum of Entomology, Berkeley, CA, USA Photographer: Larry G. Bezark Collection Location: Turrialba, Costa Rica 42503
|
_Toledo_EMEC_Turrialba_CR.jpg)
Specimen Type: paratype Institution: EMEC Essig Museum of Entomology, Berkeley, CA, USA Photographer: Larry G. Bezark Collection Location: Turrialba, Costa Rica 42504
|
_Toledo_EMEC_Turrialba_CR4.jpg)
Specimen Type: paratype Institution: EMEC Essig Museum of Entomology, Berkeley, CA, USA Photographer: Larry G. Bezark Collection Location: Turrialba, Costa Rica 42505
|
_Toledo_JEWC_col.jpg)
Specimen Type: paratype Sex: f Institution: ACMT American Coleoptera Collection, Texas (now at FSCA) Photographer: Victor Toledo Collection Location: Cerro Campana, Panama 21159
|
|