New Search Family, Subfamily and Tribe List

SubFamily Cerambycinae

Tribe Elaphidiini
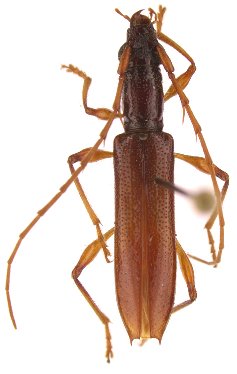
Psyrassa cerina Toledo 2005

Specimen Type: paratype
Sex: f
Institution: EMEC Essig Museum of Entomology, Berkeley, CA, USA
Photographer: Victor Toledo
21156

130425