New Search Family, Subfamily and Tribe List

SubFamily Vesperinae

Tribe Vesperini
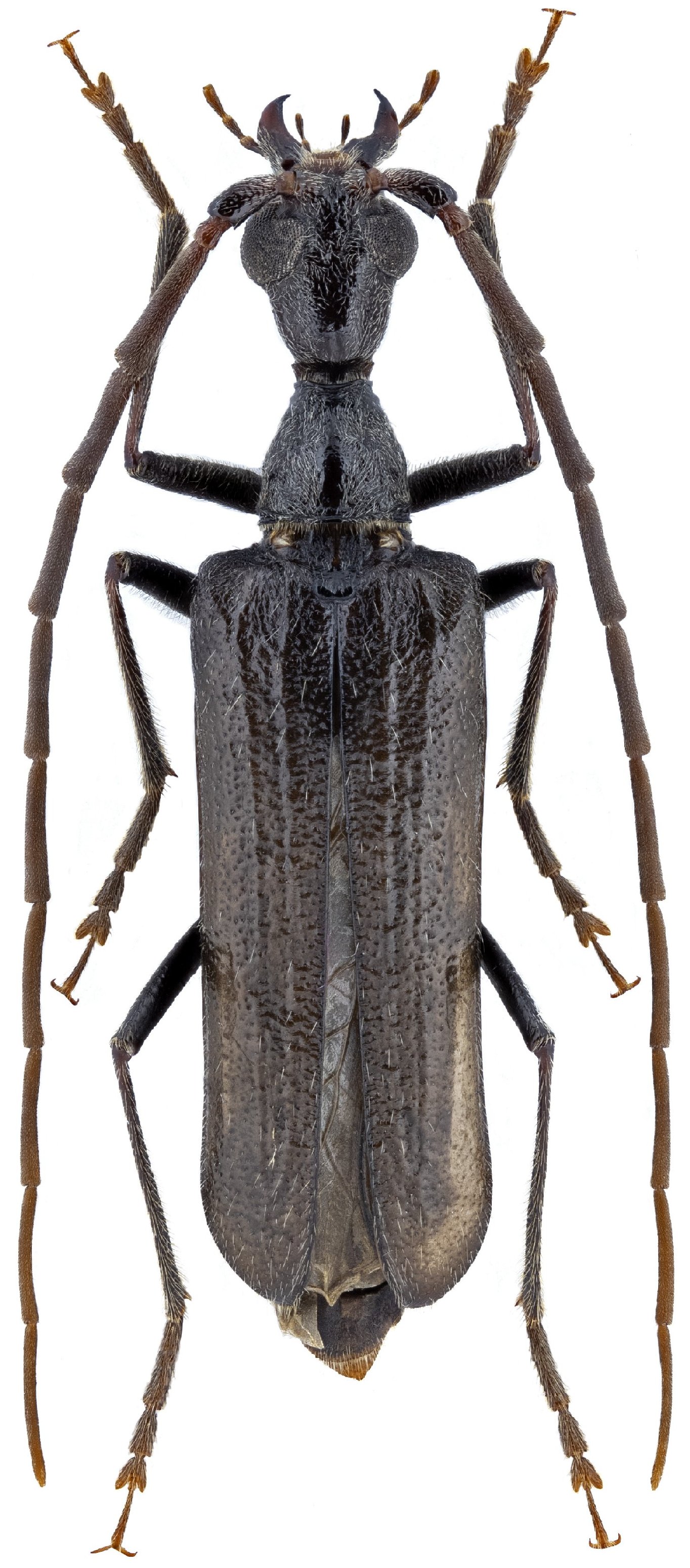
Vesperus gomezi Verdugo 2004

Specimen Type: topotype
Sex: m
Photographer: David Navratil
Collection Location: Pico Lopera, Jayena District, Granada Province, Spain
80225

130425