_hefferni_(h-m)_Santos-Silva_and_Hovore_MZSP_5miE_Alamos_Sonora_Mex.jpg)
Specimen Type: holotype Sex: m Institution: MZSP Museu de Zoologia da Universidade de São Paulo, Brazil Collection Location: 5mi E of Alamos, Sonora, Mexico 25849
|
 SS Hov MZSP 5 mi E Alamos, Sonora, Mexico JPB SS.jpg)
Specimen Type: paratype Sex: f Institution: MZSP Museu de Zoologia da Universidade de São Paulo, Brazil Photographer: Juan Pablo Botero & Antonio Santos-Silva Collection Location: 5 mi E Alamos, Sonora, Mexico 96513
|
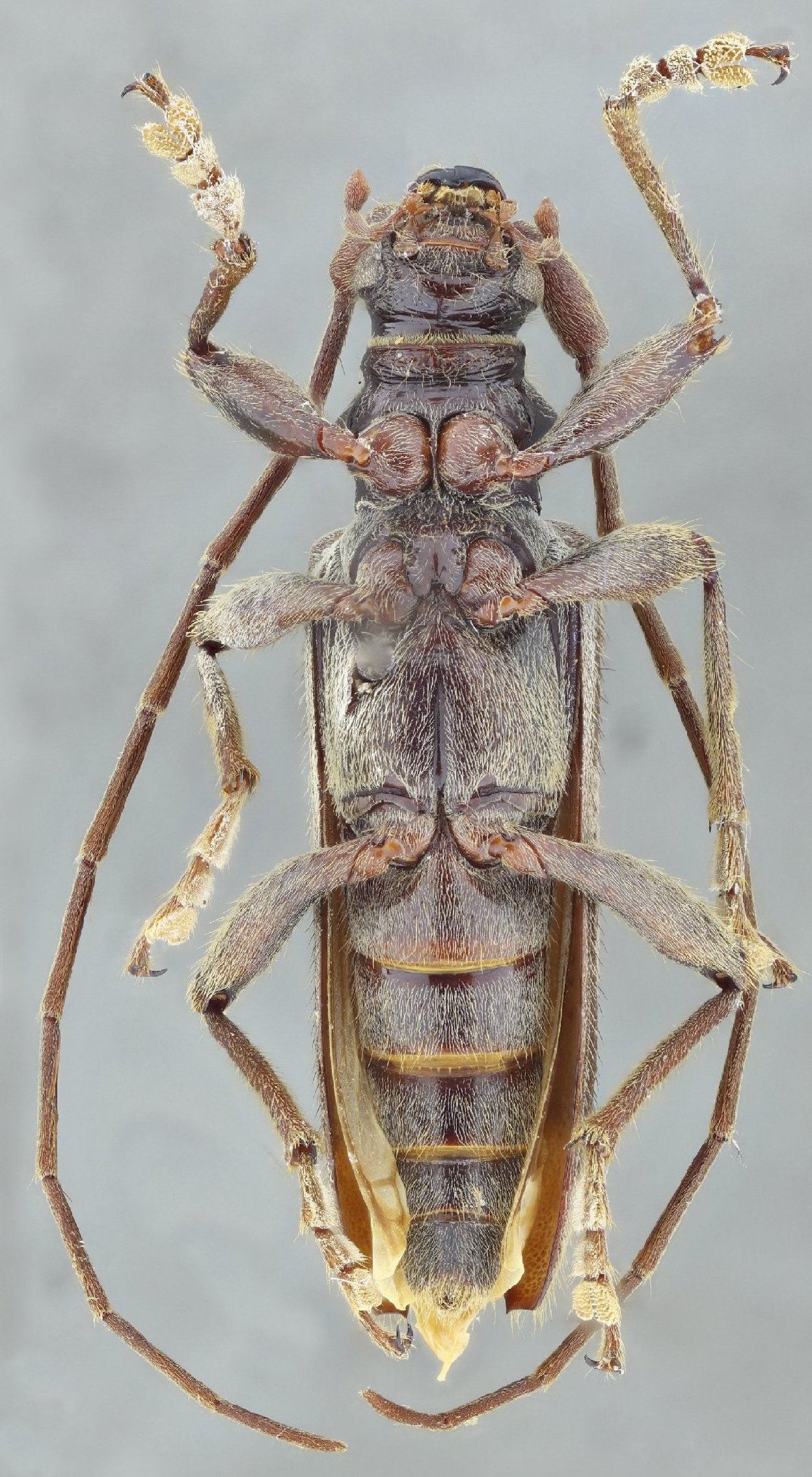
 SS Hov MZSP 5 mi E Alamos, Sonora, Mexico JPB SS.jpg)
Specimen Type: paratype Sex: f Institution: MZSP Museu de Zoologia da Universidade de São Paulo, Brazil Photographer: Juan Pablo Botero & Antonio Santos-Silva Collection Location: 5 mi E Alamos, Sonora, Mexico 96514
|
|