_Galileo_and_Martins.jpg)
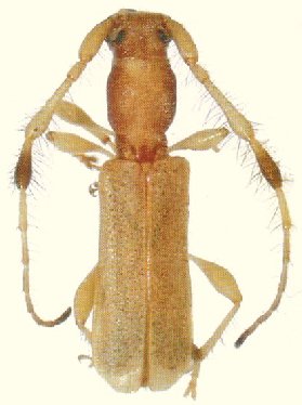
Specimen Type: holotype Sex: m Institution: NMNH United States National Museum, Washington, DC, USA Collection Location: Trinidad 26370
|
_Galileo_and_Martins.jpg)
Specimen Type: holotype Sex: m Institution: NMNH United States National Museum, Washington, DC, USA 26371
|

Specimen Type: holotype Sex: m Institution: NMNH United States National Museum, Washington, DC, USA Collection Location: Trinidad and Tobago, Trinidad, Textel 25214
|
_Gal_Mart_MZSP_Trinidad_SS.jpg)
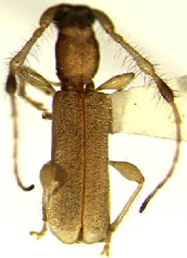
Specimen Type: paratype Sex: m Institution: MZSP Museu de Zoologia da Universidade de São Paulo, Brazil Photographer: Antonio Santos-Silva Collection Location: Arima-Blanchisseuse, N Range, Trinidad 61080
|
|