_Gal_and_Mart_ACMT_Veracruz_Mexico.jpg)
Specimen Type: holotype Sex: f Institution: NMNH United States National Museum, Washington, DC, USA Collection Location: 14-16 km W Sontecomapan, Veracruz, Mexico 26549
|
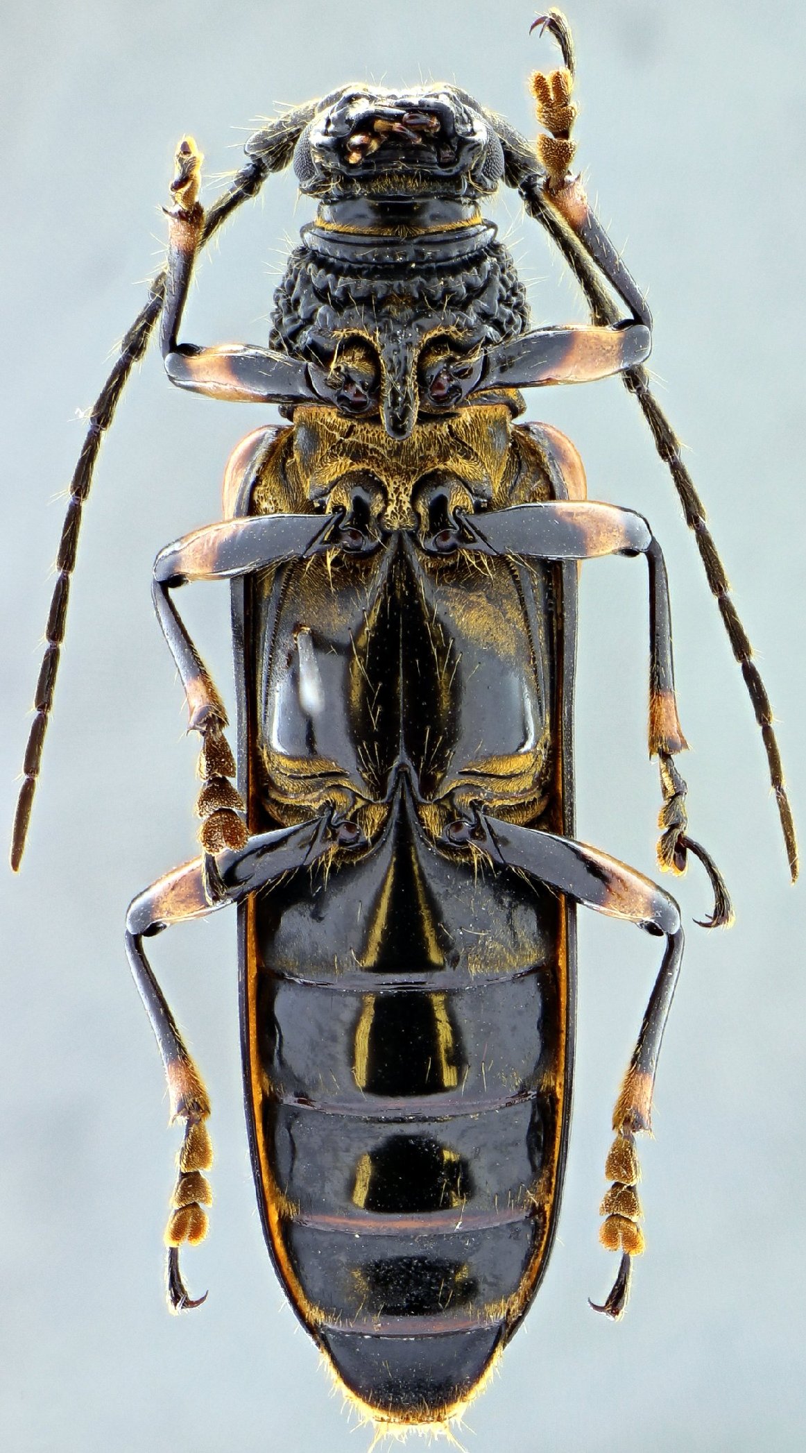
_Gal_Mart_NMNH_14-16kmW_Sontecomapan_VC_Charyn_Micheli.jpg)
Specimen Type: holotype Sex: f Institution: NMNH United States National Museum, Washington, DC, USA Photographer: Charyn Micheli Collection Location: 14-16 km W Sontecomapan, Veracruz, Mexico 68117
|
_Gal_Mart_NMNH_14-16kmW_Sontecomapan_VC_Charyn_Micheli.jpg)
Specimen Type: holotype Sex: f Institution: NMNH United States National Museum, Washington, DC, USA Photographer: Charyn Micheli Collection Location: 14-16 km W Sontecomapan, Veracruz, Mexico 68118
|
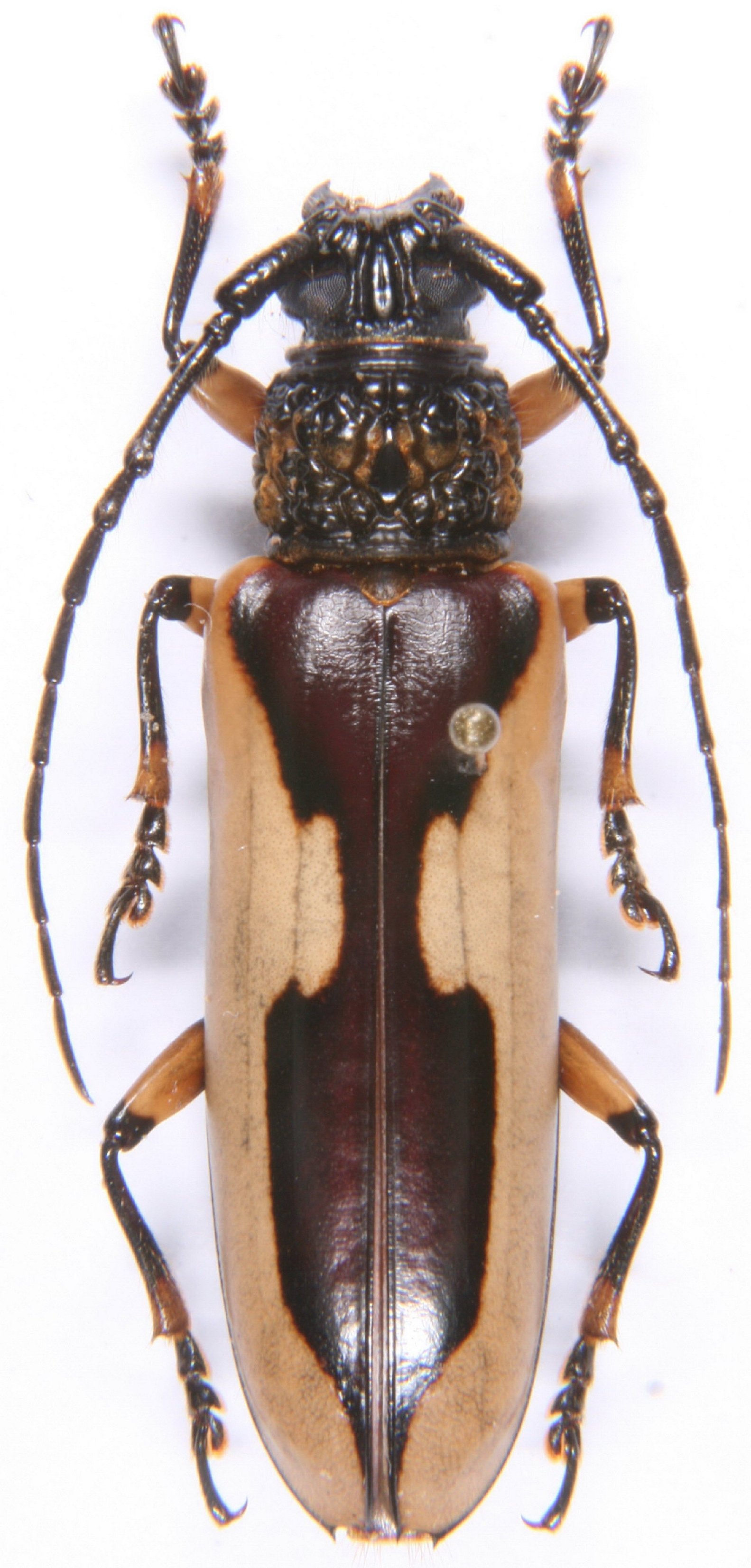
_Gal_Mart_NMNH_Sontecomapan_VC_SWL.jpg)
Specimen Type: holotype Sex: f Institution: NMNH United States National Museum, Washington, DC, USA Collection Location: 14-16 km W Sontecomapan, Veracruz, Mexico 26550
|
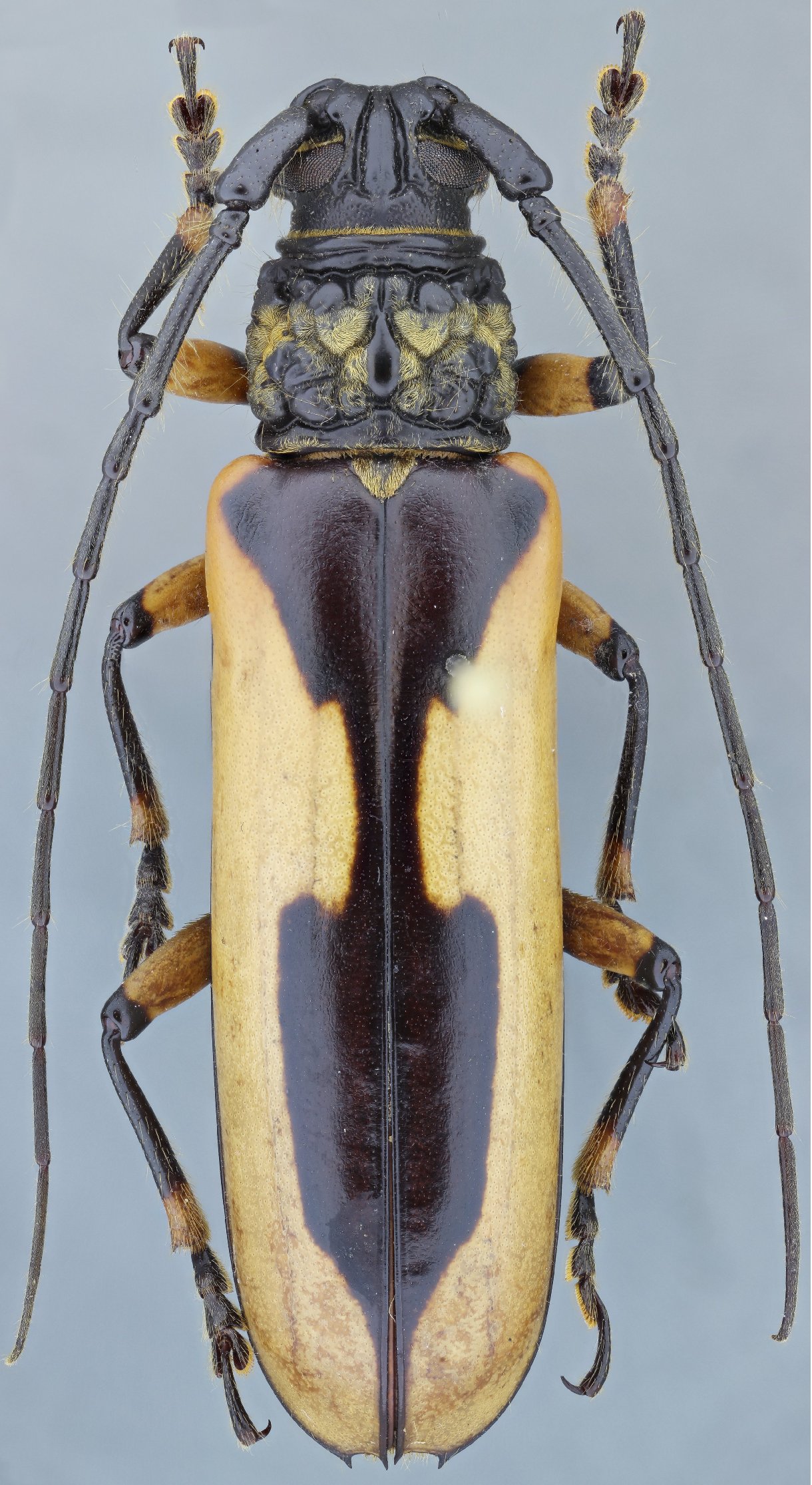
_Gal_Mart_SS.jpg)
Sex: m Photographer: Antonio Santos-Silva 68119
|
_Gal_Mart_SS.jpg)
Sex: m Photographer: Antonio Santos-Silva 68120
|
_Gal_Mart_SS.jpg)
Sex: m Photographer: Antonio Santos-Silva 68121
|
_Gal_Mart_SS.jpg)
Sex: m Photographer: Antonio Santos-Silva 68122
|
_Gal_Mart_SS.jpg)
Sex: f Photographer: Antonio Santos-Silva 68123
|
_Gal_Mart_SS.jpg)
Sex: f Photographer: Antonio Santos-Silva 68124
|
_Gal_Mart_SS.jpg)
Sex: f Photographer: Antonio Santos-Silva 68125
|

Photographer: Rolo Campo Collection Location: Veragua RF Reserve, Talamanca, Limon, Costa Rica 79882
|
_Chiriqui_Panama_Giesbert_Coll_FSCA.jpg)
Sphallambyx chabrillacii (Thomson) Institution: EMG Ed Giesbert Collection (now at FSCA) Collection Location: Chiriqui, Panama 13321
|

Photographer: Robert Perger 27662
|