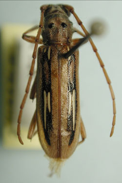
_Chem_and_Giesb_UNAM_Est_Biol_Chamela.jpg)
Specimen Type: holotype Sex: f Institution: UNAM Instituto de Biología, Universidad Nacional Autónoma de México, Mexico City Photographer: Susan Gomez (UNAM) Collection Location: Estacion Biologia Chamela, Jalisco, Mexico 29988
|
_Chem_and_Giesb_UNAM_Est_Biol_Chamela.jpg)
Specimen Type: holotype Sex: f Institution: UNAM Instituto de Biología, Universidad Nacional Autónoma de México, Mexico City Photographer: Susan Gomez (UNAM) Collection Location: Estacion Biologia Chamela, Jalisco, Mexico 29989
|
_Chem_and_Giesb_UNAM_Est_Biol_Chamela.jpg)
Specimen Type: holotype Sex: f Institution: UNAM Instituto de Biología, Universidad Nacional Autónoma de México, Mexico City Photographer: Susan Gomez (UNAM) Collection Location: Estacion Biologia Chamela, Jalisco, Mexico 29990
|
_Chemsak_and_Giesbert_Chamela_UCB.jpg)
Specimen Type: paratype Institution: UCB Essig Museum of Entomology, Berkeley, California, USA Photographer: Larry G. Bezark Collection Location: Chamela, Jalisco, Mexico 6956
|

Institution: FTH Frank T. Hovore collection (now at California Academy of Sciences) Photographer: Larry G. Bezark 6957
|
_Chem_Giesb_SS.jpg)
Sex: m Photographer: Antonio Santos-Silva 6958
|
_Chem_Giesb_SS.jpg)
Sex: m Photographer: Antonio Santos-Silva 55524
|
_Chem_Giesb_SS.jpg)
Sex: m Photographer: Antonio Santos-Silva 55525
|
|