_Galileo_and_Martins_MNKM_Buena_Vista_Santa_Cruz_Bolivia_Pap_Avuls_Zoo.jpg)
Specimen Type: holotype Sex: m Institution: MNKM Museo de Hist Nat Noel Kempff Mercado Santa Cruz de la Sierra, Bolivia Collection Location: Buena Vista, Santa Cruz, Bolivia 20997
|
_Galileo_and_Martins_MNKM_Bolivia_Skelley.jpg)
Specimen Type: holotype Sex: m Institution: MNKM Museo de Hist Nat Noel Kempff Mercado Santa Cruz de la Sierra, Bolivia Photographer: Paul Skelley Collection Location: Buena Vista, Santa Cruz, Bolivia 24051
|
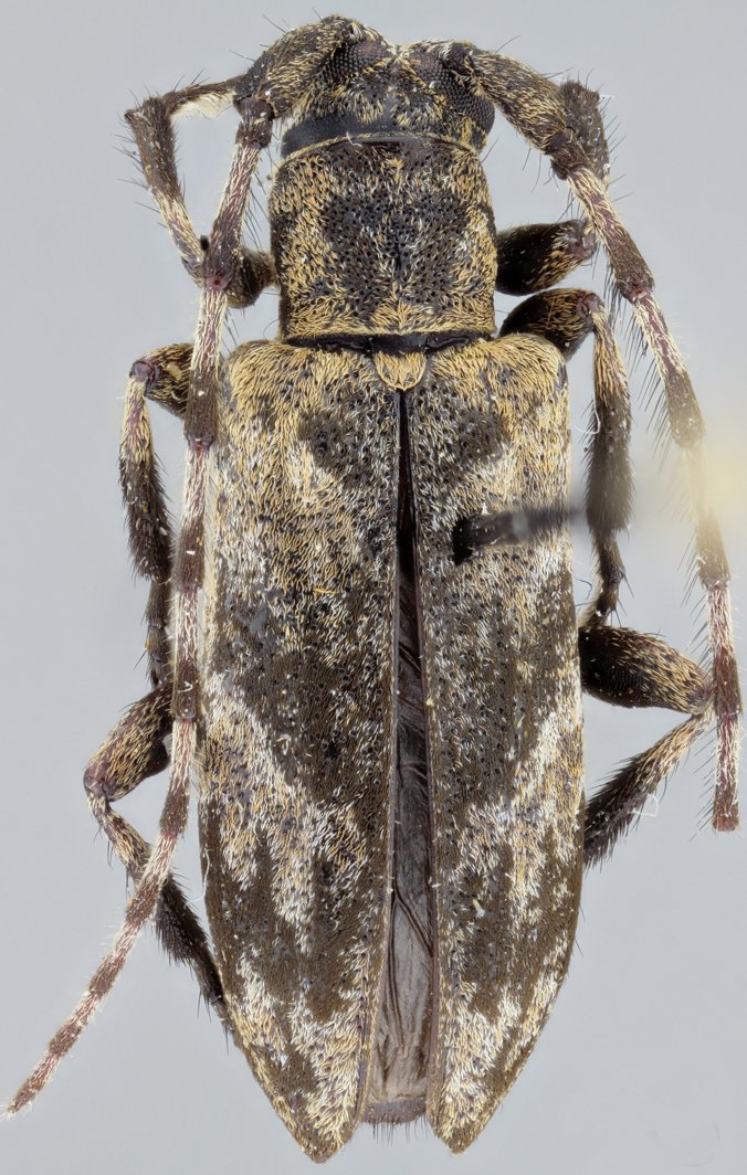
_Gal_Mart_MZSP_Buena_Vista_SC_Bolivia.jpg)
Specimen Type: paratype Institution: MZSP Museu de Zoologia da Universidade de São Paulo, Brazil Photographer: Antonio Santos-Silva Collection Location: Buena Vista, Santa Cruz, Bolivia 64336
|
|