_Galileo_and_Martins_MZSP_Tapuruquara_Amazonas_Brasil_Pap_Avuls_Zoo.jpg)
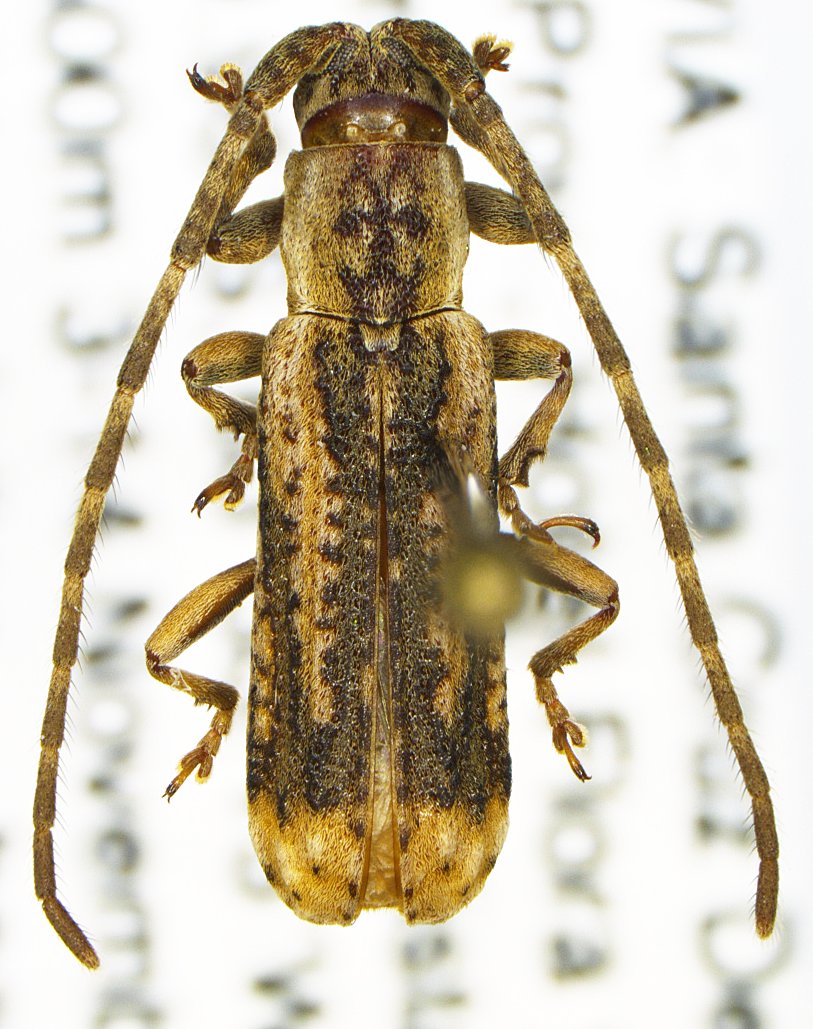
Specimen Type: holotype Sex: m Institution: MZSP Museu de Zoologia da Universidade de São Paulo, Brazil Collection Location: Amazonas, Brazil 20844
|

Photographer: Steve Lingafelter Collection Location: Flora and Fauna Hotel, 4-6 km SSE Buena Vista, Santa Cruz, Bolivia 77621
|