New Search Family, Subfamily and Tribe List

SubFamily Cerambycinae

Tribe Eburiini
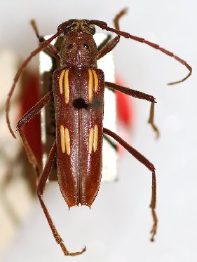
Eburia pellacia Zayas 1975

Specimen Type: holotype
Sex: f
Institution: FZPC Fernando de Zayas Private Collection, Havana, Cuba
Photographer: Gino Nearns
Collection Location: Santa Lucía, Camaguey, Cuba
22692

130425