_Galileo_and_Martins_FSCA_Buena_Vista_Santa_Cruz_Bolivia_Pap_Avuls_Zoo.jpg)
Ateralphus lacteus Galileo & Martins Specimen Type: holotype Sex: f Institution: FSCA Florida State Collection of Arthropods, Gainesville, FL, USA Collection Location: Santa Cruz, Bolivia 20841
|
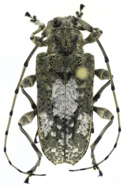
_Galileo_and_Martins_MNKM_Bolivia_Skelley.jpg)
Ateralphus lacteus Galileo & Martins Specimen Type: holotype Institution: MNKM Museo de Hist Nat Noel Kempff Mercado Santa Cruz de la Sierra, Bolivia Photographer: Paul Skelley Collection Location: Santa Cruz, Bolivia 23862
|