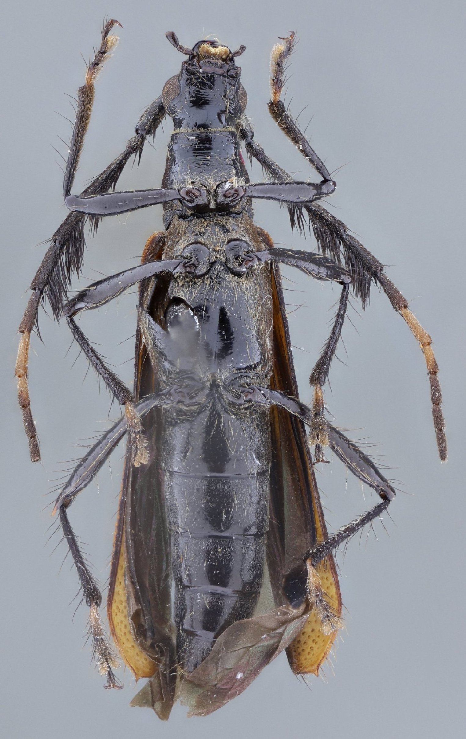
 Napp Mart MZSP Santo Domingo de los Colorados, Pichincha, Ecuador SS.jpg)
Specimen Type: holotype Sex: f Institution: MZSP Museu de Zoologia da Universidade de São Paulo, Brazil Photographer: Antonio Santos-Silva Collection Location: Santo Domingo de los Colorados, Pichincha, Ecuador 89598
|
 Napp Mart MZSP Santo Domingo de los Colorados, Pichincha, Ecuador SS.jpg)
Specimen Type: holotype Sex: f Institution: MZSP Museu de Zoologia da Universidade de São Paulo, Brazil Photographer: Antonio Santos-Silva Collection Location: Santo Domingo de los Colorados, Pichincha, Ecuador 89599
|