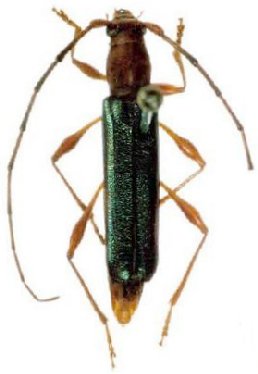
_Napp_and_Mart_MNRJ_Planaltina_DF_Brazil.jpg)
Specimen Type: holotype Sex: f Institution: MNRJ Museu Nacional Universidade do Rio Janeiro, Brazil Photographer: Larry G. Bezark Collection Location: Planaltina, DF, Brasil 33326
|
_Napp_and_Martins_MNRJ_Planaltina_DF_Brasil_Pap_Avuls_Zoo.jpg)
Specimen Type: holotype Sex: f Institution: MNRJ Museu Nacional Universidade do Rio Janeiro, Brazil Collection Location: Planaltina, DF, Brazil 20888
|