_Chemsak_and_Linsley_CAS_type_11957.jpg)
Eburia opaca Chemsak & Linsley Specimen Type: holotype Sex: m Institution: CAS California Academy of Sciences, San Francisco, CA, USA Photographer: Larry G. Bezark Collection Location: X-Can, Quintana Roo, Mexico 22246
|
_Chemsak_and_Linsley_UCB.jpg)
Eburia opaca Chemsak & Linsley Specimen Type: allotype Sex: f Institution: UCB Essig Museum of Entomology, Berkeley, California, USA Photographer: Larry G. Bezark Collection Location: X-Can, Quintana Roo, Mexico 16190
|
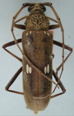
_Chemsak_and_Linsley_Q_Roo_UCB.jpg)
Eburia opaca Chemsak & Linsley Specimen Type: paratype Institution: UCB Essig Museum of Entomology, Berkeley, California, USA Photographer: Larry G. Bezark Collection Location: Quintana Roo, Mexico 6944
|
|