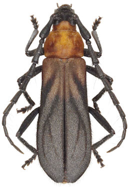
_Napp_and_Martins_MNRJ_GN.jpg)
Specimen Type: holotype Sex: f Institution: MNRJ Museu Nacional Universidade do Rio Janeiro, Brazil Photographer: Gino Nearns Collection Location: Ariquemes, Rondonia, Brazil 23826
|
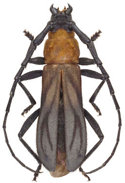
_Kaw_Fr_Guiana_Giuglaris.jpg)
Sex: mf Photographer: Jean-Louis Giuglaris Collection Location: Kaw, French Guiana 28539
|